Μετάβαση στο περιεχόμενο

alexisnan

Members
  • Περιεχόμενα

    5
  • Εντάχθηκε

  • Τελευταία επίσκεψη

Everything posted by alexisnan

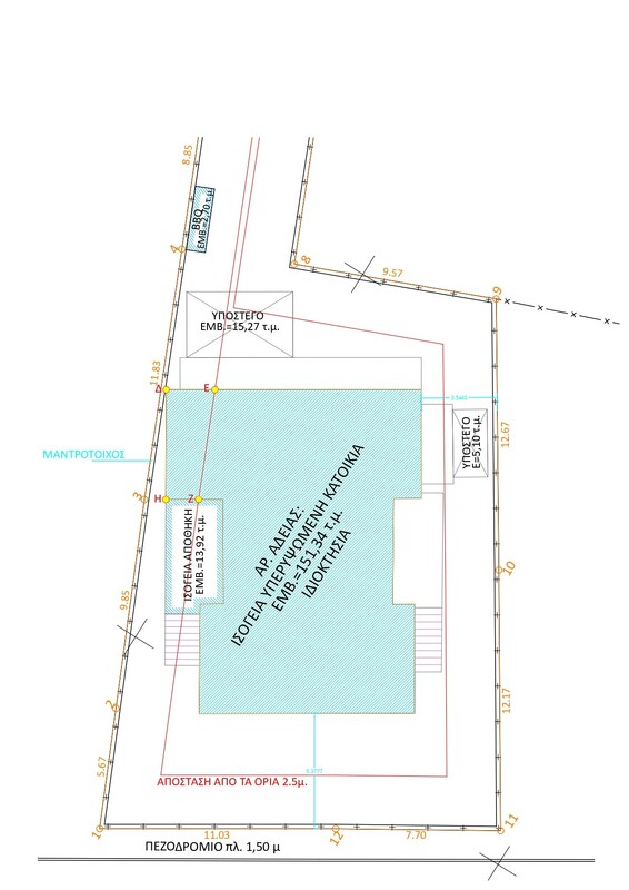
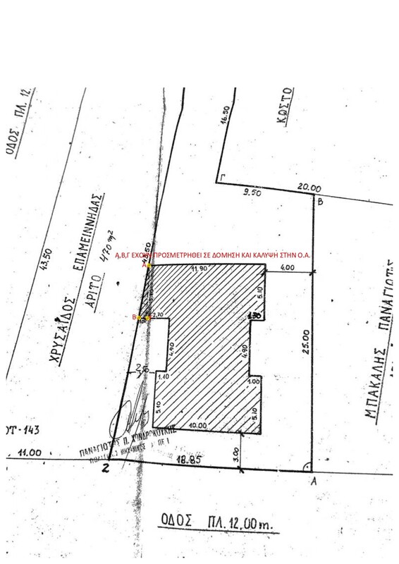
  1. Καλησπέρα σας, Έχω οικοδομική άδεια του 1992, ο μηχανικός χρησιμοποίησε για την θέση κτιρίου τις ειδικές διατάξεις για χαμηλά κτίρια περ. 4 αρθ. 14 του ΓΟΚ 85 (Τα χαμηλά κτίρια τοποθετούνται ελεύθερα μέσα στο οικόπεδο. Όταν δεν εφάπτονται με τα πίσω και πλάγια όρια του οικοπέδου, η ελάχιστη απόσταση του κτιρίου από τα όρια αυτά είναι Δ = 2,5Ομ.) Το σημερινό περίγραμμα της κατοικίας είναι ακριβώς ίδιο με αυτό που αποτυπώνεται στην κάτοψη της αδείας, στο διάγραμμα κάλυψης όμως (επισυνάπτεται) έχει προσμετρήσει το τρίγωνο Α,Β,Γ, σε δόμηση και κάλυψη. 1) Έχει κατασκευαστεί μαντρότοιχος στα όρια του οικοπέδου ο οποίος δεν αποτυπώνεται στ Δ.Κ αρα μικρή μετακίνηση του κτιρίου υπάρχει, το τμήμα Δ,Ε,Ζ,Η το θεωρώ παραβίαση πλάγιων αποστάσεων με Υ.Δ. ή με καλύπτει το προσμετρημένο κατα την άδεια τμήμα Α,Β,Γ το οποίο το παρουσιάζει σαν να εφάπτεται όλη η πλευρά στο όριο? 2) Η ισόγεια αποθήκη (κάτω απο την σκάλα) τμήμα της οποίας παραβιάζει τις πλάγιες αποστάσεις, το αντιμετωπίζω με ΚΑΤ 3 ή θα τα βάλω σε ξεχωριστά Φ.Κ. (τα τ.μ. που παραβιάζουν Υ.Δ και τα υπόλοιπα Κατ. 3)? 3) Οι υπόλοιπες κατασκευές που παραβιάζουν τις αποστάσεις τμηματικά (υπόστεγα, σκάλες, εξώστες) τα αντιμετωπίζω με Λοιπή παράβαση? Επισυνάπτεται Δ.Κ. άδειας και σημερινή αποτύπωση. Καλό τριήμερο!
  2. Ευχαριστώ για τις απαντήσεις και τον χρόνο σας, καλές γιορτές!
  3. Καλησπέρα συνάδελφοι Θα ήθελα τις γνώμες σας και την βοήθεια σας για το παρακάτω θέμα. Έχω υπόγεια αποθήκη σε τετραώροφη πολυκατοικία εντός σχεδίου πόλεως η οποία προορίζεται για αγορά. Θα γίνει υπαγωγή στον 4495 για διαφορετική διαμερισμάτωση καθώς έχουν πάρει κάποια τετραγωνικά και τα έχουν προσθέσει στο κλιμακοστάσιο. Πέρα από αυτό όμως ο αγοραστής επιθυμεί να κάνει αλλαγή χρήσης σε κατοικία. Αν το ρυθμίσω σαν αποθήκη όπως υφίσταται και γίνει η αγορά, αλλαγή χρήσης από βοηθητική σε κύρια εφόσον τα φορτία είναι δυσμενέστερα με παραπέμπει σε άδεια δόμησης για αλλαγή χρήσης και όχι με ΕΕΔΜΚ αν δεν κάνω λάθος. Άρα σκέφτηκα εφόσον είναι σύμφωνοι και ο πωλητής και ο αγοραστής και εφόσον ο αγοραστής συμφωνεί να επιβαρυνθεί της τακτοποίησης (διότι αυτός επιθυμεί την αλλαγή χρήσης) να προσθέσω στην υπαγωγή και την αλλαγή χρήσης και έπειτα της αγοράς θα βγάλω μια ΕΕΔΜΚ για εσωτερικές αλλαγές. Στην υπαγωγή θα βάλω τα συνολικά τετραγωνικά της αποθήκης σαν Υ.Δ με μειωτικό συντελεστή 0,50 χωρίς να επιλέξω τον ειδικό συντελεστή της αλλαγής χρήσης συν την διαφορετική διαμερισμάτωση? ή θα πρέπει να ελέγξω τι αναλογεί σε δόμηση στην οριζόντια ιδιοκτησία και επειδή είναι μικρό το ποσοστό αναλογίας με πάει Κατηγορία 5? Σκέφτομαι όμως ότι μπορώ να πατήσω στο αρθ.96 στην Κατ. 4 περ. δδ του Ν.4495/17 και να πάω με την πρώτη περίπτωση. Ευχαριστώ για τον χρόνο σας και αναμένω για τις απαντήσεις σας. Καλά Χριστούγεννα και καλές γιορτές σε όλους!! H ίδια δημοσίευση σε διαφορετικά θέματα και ενότητες του φόρουμ δεν επιτρέπεται. Παραμένει σε ισχύ μόνο η παρούσα. Διάβασε προσεκτικά τους κανόνες συμμετοχής στο φόρουμ. akis73
  4. Ευχαριστώ πολύ!!
×
×
  • Create New...

Σημαντικό

Χρησιμοποιούμε cookies για να βελτιώνουμε το περιεχόμενο του website μας. Μπορείτε να τροποποιήσετε τις ρυθμίσεις των cookie, ή να δώσετε τη συγκατάθεσή σας για την χρήση τους.