Μετάβαση στο περιεχόμενο

John Kalam

Members
  • Περιεχόμενα

    13
  • Εντάχθηκε

  • Τελευταία επίσκεψη

Everything posted by John Kalam

  1. nbr ευχαριστώ πολύ για την άμεση απάντηση και τα εύλογα ερωτήματα που πρέπει να λάβω υπόψιν. Δίνω κάποια στοιχεία παραπάνω που ίσως βοηθήσουν τη συζήτηση. Ίσως παρέλειψα κάτι σημαντικό. Η Ο.Α. του πελάτη μου αφορά σε νομιμοποίηση ισογείου και προσθήκη Α' ορόφου. Ο δρόμος στον οποίο έχει πρόσωπο υπήρχε όταν εκδόθηκε η Ο.Α. Τα τμήματα που ρυμοτομούνται εκατέρωθεν του δρόμου είναι για την διαπλάτυνση του. Τα κτίσματα στα έναντι και όμορα οικόπεδα έχουν κατασκευαστεί και αυτά με Ο.Α. από όσο γνωρίζω. Δεν γνωρίζω αν πρόκειται να εκδωθεί κάποια νέα Ο.Α. σε αυτά. Όπως και να έχει θα προσπαθήσω να μάθω περισσότερα από την Πολεοδομία. Ευχαριστώ και πάλι. Καλημέρα.
  2. Συνάδελφοι καλησπέρα. Μία ερωτήση σχετικά με την πράξη αναλογισμού και την ρευματοδότηση κατοικίας με Ο.Α. Διώροφη κατοικία έχει κατασκευαστεί με Ο.Α. του 1998. Στο στέλεχος της άδειας στις Θεωρήσεις αναγράφεται: "Έχει υποβληθεί η αρ. πρωτ. .... πράξη αναλογισμού και οι ιδιοκτήτες υποχρεούνται μέχρι την ηλεκτροδότηση της οικοδομής να έχουν ολοκληρώσει τη διαδικασία της πράξης αναλογισμού (Ε25/1987)" Ο ιδιοκτήτης που είναι πελάτης μου έχει παραχωρήσει το ρυμοτομούμενο τμήμα και το ίδιο έχει γίνει από τον ιδιοκτήτη της απέναντι ιδιοκτησίας, χωρίς κανένας να έχει υλοποιήσει την παραχώρηση στην πράξη. Προκειμένου να ρευματοδοτηθεί η ιδιοκτησία που με αφορά φαντάζομαι είναι υποχρεωτική η υλοποίηση της παραχώρησης. Παρακαλώ αν μπορεί κάποιος το επιβεβαιώνει. Αν ναι, το ίδιο πρέπει να γίνει και από τον απέναντι ή αρκεί μόνο από τον έναν; Ευχαριστώ εκ των προτέρων για τις απαντήσεις και τον χρόνο σας.
  3. ΚΑΝΑ ευχαριστώ πολύ για την άμεση απάντηση. Αν ερμηνεύω σωστά το άρθρο 23 του ΝΟΚ, και συγκεκριμένα την παράγραφο 3β), εφόσον κατά το χρόνο κατασκευής παραβιάστηκε το τότε ισχύον Δ (2,5μ) δεν μπορώ να θεωρήσω και να χρησιμοποιήσω ως νόμιμο περίγραμμα το υπάρχον ισόγειο. Μπορώ μόνο να συνεχίσω τον σκελετό στη θέση του υπάρχοντος, αλλά το τμήμα που προσμετρά σε δόμηση και κάλυψη οφείλει να τηρήσει τις αποστάσεις. Αν λέω κάτι λάθος με διορθώνετε. Ευχαριστώ.
  4. Συνάδελφοι καλημέρα και χρόνια πολλά! Θα ήθελα την βοήθεια σας με το εξής θέμα: Στη συνημμένη εικόνα βλέπετε δύο ισόγειες κατοικίες που έχουν κατασκευαστεί σε ένα οικόπεδο εντός οριοθετημένου οικισμού με Ο.Α. του 1975. Δεν τηρήθηκαν όμως οι απαιτούμενες αποστάσεις Δ. Το 2018 ένας συνάδελφος προέβη σε ρύθμιση αυαθαιρέτων με τον Ν. 4495/2017 όπου μεταξύ άλλων τακτοποίησε και την παραβίαση του Δ (τόσο από τα όρια, όσο και μεταξύ των κτισμάτων). Θέλουμε να εκδώσουμε Ο.Α. προσθήκης Α' ορόφου πάνω από κάθε κατοικία. Το ερώτημα μου είναι αν μπορώ να φτάσω την δόμηση στα όρια των υπαρχόντων κτισμάτων ή δεν μπορώ να τεκμηριώσω νόμιμο περίγραμμα αφού η ρύθμιση έγινε με τον 4495; Κάθε απάντηση θα με βοηθήσει. Ευχαριστώ πολύ.
  5. Στο ΦΕΚ της κατηγοριοποίησης και καθορισμού των ορίων του οικισμού αναφέρεται: Θέση στο χώρο: μη περιαστικοί, μη παραλιακοί, μη τουριστικοί. Βαθμός προσατασίας: αδιάφοροι. Δυναμικότητα: Φθίνοντες. Βαθμός διασποράς: συνεκτικοί Μέγεθος: Μεσαίοι. Δεν ξέρω αν βοήθησα στην οικονομία της κουβέντας με τα παραπάνω.
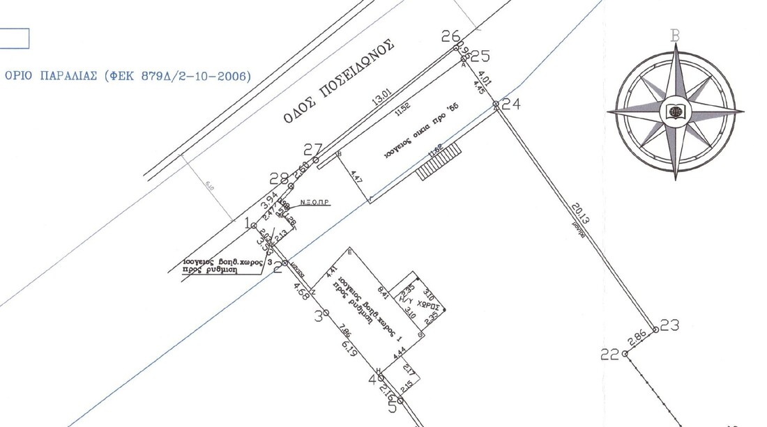
  6. Καλημέρα συνάδελφοι, Θα ήθελα αν με βοηθήσετε στα εξής: 1. Έχω ένα γήπεδο εντός ζώνης οικισμού προ του 1923 που είναι μη άρτιο και μη οικοδομήσιμο. Το γήπεδο τέμνεται από τη γραμμή παραλίας. Εντός αυτής υφίσταται κτίσμα υφιστάμενο προ του έτους 1955. Μπορώ να εκδώσω ΕΕΔΜΚ για επισκευή του κτίσματος; 2. Επίσης εντός του γηπέδου υφίσταται κτίσμα (σε επαφή με το νοτιοδυτικό όριο) το οποίο έχει τακτοποιηθεί με τον Ν. 4495/2017 ως βοηθητικός χώρος (με μειωτ. συντ. 50%). Αν επισκευαστεί με ΕΕΔΜΚ μπορεί να χρησιμοποιηθεί ως κατοικία κάνοντας αλλαγή χρήσης με την ίδια ΕΕΔΜΚ; Επισυνάπτω απόσπασμα από το τοπογραφικό. Ευχαριστώ πολύ εκ των προτέρων.
  7. Ευχαριστώ για την απάντηση tetris. Επομένως εφόσον είμαι εντός οικισμού δεν με απασχολεί η γνωμοδότηση περί ΓΥΠ και μπορώ να οικοδομήσω κανονικά με την προϋπόθεση ότι ο δρόμος αναφέρεται ως σύνορο σε συμβόλαιο προ του έτους 1985. Λέω κάτι λάθος;
  8. Καλησπέρα συνάδελφοι, πρόσφατα ένας πελάτης μου αγόρασε ένα οικόπεδο εντός ακτινικού οικισμού το οποίο έχει χαρακτηριστεί γη υψηλής παραγωγικότητας. Ταυτόχρονα υπάρχει βεβαίωση της Τ.Υ. του Δήμου ότι το οικόπεδο έχει πρόσωπο σε δημοτική οδό υφιστάμενη προ του έτους 1985. Το ερώτημα μου είναι αν μπορεί να οικοδομήσει παρά τον χαρακτηρισμό της έκτασης ως ΓΓΥΠ. Εκτιμώ κάθε βοήθεια. Ευχαριστώ.
  9. Λυκούργο, σε ευχαριστώ πολύ για την απάντησή σου. Τελικά κατέθεσα την αίτηση ηλεκτρονικά μέσω του Δήμου Αθηναίων και θα πάρω τα αντίγραφα από το αρχείο της Πολεοδομίας στη Συγγρού 77.
  10. Καλημέρα συνάδελφοι. Προκειμένου να κάνω συμπλήρωση Η.Τ.Κ. για μία οριζόντια ιδιοκτησία στην περιοχή του Βύρωνα χρειάζομαι αντίγραφα από το φάκελο δύο οικοδομικών αδειών (έτη 1956 και 1975). Τα στελέχη των αδειών τα έχω στην κατοχή μου. Γνωρίζετε στο αρχείο ποιας περιοχής πρέπει να απευθυνθώ και πως γίνεται η αίτηση; Μπορώ να την κάνω ηλεκτρονικά ή πρέπει να πάω επί τόπου στο αρχείο της Πολεοδομίας; Οποιαδήποτε πληροφορία θα με βοηθήσει. Ευχαριστώ πολύ.
  11. Συνάδελφοι, σας ευχαριστώ πολύ για τις άμεσες απαντήσεις. Το σκεπτικό που μου παραθέσατε έχει λογική και εν πολλοίς εξηγεί αυτό που μου ζήτησε η ΥΔΟΜ. Ούτως ή άλλως βάζοντας αντί για 1 πολεοδομική παράβαση τα τ.μ. του χώρου δεν αλλάζει το παράβολο εφόσον επιλέγω προς έκδοση αδείας.
  12. Συνάδελφοι θα ήθελα να ρωτήσω το εξής: Σε οικόπεδο εντός οικισμού, ο ιδιοκτήτης κατά το παρελθόν κατασκεύασε αυθαίρετα βάση οπλισμένου σκυροδέματος και φέρουσα τοιχοποιία η οποία παρέμεινε ημιτελής σε διαφορετικά ύψη και προφανώς δεν τοποθετήθηκε ποτέ στέγαση. Σήμερα θέλει να αποπερατώσει το αυθαίρετο εκδίδοντας άδεια δόμησης. Έχω δηλώσει το αυθαίρετο με αναλυτικό προϋπολογισμό, ως μία πολεοδομική παράβαση καθότι δεν αποτελεί κτήριο (χώρο) κατά τη γνώμη μου αλλά μία ημιτελή ασκεπή ανωδομή. Η Πολεοδομία ωστόσο θεωρεί ότι πρέπει να δηλωθεί ως κ.χ. Ποια η γνώμη σας επι του θέματος; Σας ευχαριστώ πολύ εκ των προτέρων. (Επειδή πρώτη φορά υποβάλλω ερώτημα στο forum, συγχωρέστε με για τυχόν λάθη)
×
×
  • Create New...

Σημαντικό

Χρησιμοποιούμε cookies για να βελτιώνουμε το περιεχόμενο του website μας. Μπορείτε να τροποποιήσετε τις ρυθμίσεις των cookie, ή να δώσετε τη συγκατάθεσή σας για την χρήση τους.