krotalias44 Δημοσιεύτηκε May 24, 2012 at 02:02 μμ Δημοσιεύτηκε May 24, 2012 at 02:02 μμ συνάδελφοι, μήπως μπορεί να απαντήσει κανείς στο ερώτημα: Όμορος ιδιοκτήτης έκτισε την κατοικία του "πατώντας" στο οικόπεδο του διπλανού κατά 20τμ. Θεωρείται αυθαίρετη κατασκευή; Μπορεί να τακτοποιηθεί; Μπορεί να μεταβιβαστεί αυτό το τμήμα εκούσια ώστε να λυθεί το πρόβλημα; ευχαριστώ
dimitris GM Δημοσιεύτηκε May 24, 2012 at 05:26 μμ Δημοσιεύτηκε May 24, 2012 at 05:26 μμ εννοεις οτι εχτισε με ΟΑ, χωρις να υπερβει τα τμ...της αδειας... . απλα "πατησε " τον γειτονα κατα μια λωριδα οικοπεδου... Εκουσια σημαινει να συμφωνει και ο γειτονας... Παει με το 1010 του ΑΚ...δλδ. εν μερει εκ λαθους ανοικοδομηση μικρου μερους σε γειτονικο οικοπεδο... Για το αν το τμημα αυτο ειναι αυθαιρετο.. δξδα... .νομιζω οτι ειναι θεμα προς διευκρινηση...
αστέριος Δημοσιεύτηκε May 24, 2012 at 07:46 μμ Δημοσιεύτηκε May 24, 2012 at 07:46 μμ εννοεις οτι εχτισε με ΟΑ, χωρις να υπερβει τα τμ...της αδειας... . απλα "πατησε " τον γειτονα κατα μια λωριδα οικοπεδου... Εκουσια σημαινει να συμφωνει και ο γειτονας... Παει με το 1010 του ΑΚ...δλδ. εν μερει εκ λαθους ανοικοδομηση μικρου μερους σε γειτονικο οικοπεδο... Για το αν το τμημα αυτο ειναι αυθαιρετο.. δξδα... .νομιζω οτι ειναι θεμα προς διευκρινηση... Γειά σου Δημήτρη.Αν του δώσει ο γείτονας το συγκεκριμένο μέρος από το οικοπεδό του ( χωρίς να ''χάνει'' αρτιότητα ) δεν γίνεται?
krotalias44 Δημοσιεύτηκε May 25, 2012 at 08:35 πμ Συγγραφέας Δημοσιεύτηκε May 25, 2012 at 08:35 πμ η αναφορά στο 1010ΑΚ με βοήθησε να ξεμπλοκάρω. μετά από εκ νέου συνεννόηση με τη συμβολαιογράφο και επικοινωνία με το τεε δόθηκε λύση ευχαριστώ πολύ
yian Δημοσιεύτηκε May 25, 2012 at 10:29 πμ Δημοσιεύτηκε May 25, 2012 at 10:29 πμ ...δόθηκε λύση Η οποία ήταν..?
αστέριος Δημοσιεύτηκε May 25, 2012 at 10:53 πμ Δημοσιεύτηκε May 25, 2012 at 10:53 πμ η αναφορά στο 1010ΑΚ με βοήθησε να ξεμπλοκάρω. μετά από εκ νέου συνεννόηση με τη συμβολαιογράφο και επικοινωνία με το τεε δόθηκε λύση ευχαριστώ πολύ Η οποία ήταν..? Αν θέλεις ενημερωσέ μας.
krotalias44 Δημοσιεύτηκε May 25, 2012 at 02:46 μμ Συγγραφέας Δημοσιεύτηκε May 25, 2012 at 02:46 μμ την πρώτη φορά δεν σας ανέφερα ότι πριν κάνω post ήδη είχα ρωτήσει στην πολεοδομία και κάποιους συναδέλφους και δεν μπόρεσαν να μου δώσουν λύση. Τελικά, η λύση είναι οτι μπορεί να γίνει συμβολαιογραφική πράξη (εκουσίως) είτε με απλή μεταβίβαση του τμήματος του οικοπέδου στο οποίο έχει γίνει η καταπάτηση είτε με ανταλλαγή και μάλιστα πιθανόν με αναφορά στο άρθρο 1010ΑΚ. Όσον αφορά την βεβαίωση του 4014, και δεδομένου ότι το κτίσμα δεν είναι αυθαίρετο (στη συγκεκριμένη περίπτωση υπόκειται στις εξαιρέσεις του 4014), θα αφορά μόνον το τμήμα που θα μεταβιβαστεί. Από το τεε μου είπαν (ανεπίσημα όπως πάντα) να περιγράψω στα σχόλια τί ακριβώς αφορά η βεβαίωση και η πράξη που θα γίνει για να μην υπάρχει κανένα πρόβλημα σε ενδεχόμενο έλεγχο της δήλωσης. Άλλωστε, αμέσως μετά την τακτοποίηση του ζητήματος, και οι δύο ιδιοκτήτες θα προχωρήσουν σε τακτοποιήσεις όλων των αυθαιρέτων τους (αυτό ήταν και το ζητούμενο από την αρχή) 2
dimitris GM Δημοσιεύτηκε May 25, 2012 at 02:56 μμ Δημοσιεύτηκε May 25, 2012 at 02:56 μμ ...καλα...μιλαμε...για ΤΟΝ καλο γειτονα... μπραβο του... καλη συνεχεια. 1
αστέριος Δημοσιεύτηκε May 25, 2012 at 04:40 μμ Δημοσιεύτηκε May 25, 2012 at 04:40 μμ krotalia ευχαριστούμε για την ενημέρωση.
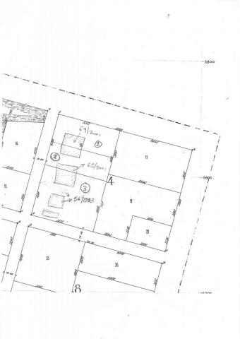
anvar Δημοσιεύτηκε February 7, 2018 at 07:52 πμ Δημοσιεύτηκε February 7, 2018 at 07:52 πμ (edited) καλημερα εχω μια παραπλήσια περίπτωση και δεν ξέρω πως να την αντιμετωπίσω..σε εντός οικισμό με σχέδιο διανομής έχω 3 οικόπεδα στην σειρά τ οποία ανήκουν σε 2 παιδιά (με συμβόλαια-ήταν ένα και χωρίστηκε διαιρετά) και του πατέρα (ο οποίος θέλει να κάνει αποδοχή κληρονομιάς). Όλα έχουν κτίσματα και για όλα έχουν εκδοθεί οικοδομικές άδειες. Όμως τα παραπάνω κτίσματα δεν τοποθετήθηκαν στις σωστές θέσεις με αποτέλεσμα οι 2 από τις τρείς κατοικίες να "πέφτουν" πάνω στα όρια των οικοπέδων. Δεν υπάρχει κάποια αντιδικία μεταξύ τους αλλά με κάποιο τρόπο πρέπει να ξεμπλεχτούν. Μπορώ να κάνω τακτοποίηση θεωρώντας διαφορετικά όρια οικοπέδου από αυτά των συμβολαίων?Και αν γίνουν κάποιαιες αναταλλάγές τμημάτων μεταξύ τους πως θα τα δείχνω στα τοπογραφικά ? συγνωμη για την παράθεση μηνυμάτων αλλά ξέχασα να επισυνάψω ένα πρόχειρο σχεδιάγραμμα Edited February 7, 2018 at 08:08 πμ by Pavlos33
Recommended Posts
Δημιουργήστε ένα λογαριασμό ή συνδεθείτε προκειμένου να αφήσετε κάποιο σχόλιο
Πρέπει να είστε μέλος για να μπορέσετε να αφήσετε κάποιο σχόλιο
Δημιουργία λογαριασμού
Κάντε μια δωρεάν εγγραφή στην κοινότητά μας. Είναι εύκολο!
Εγγραφή νέου λογαριασμούΣύνδεση
Εάν έχετε ήδη λογαριασμό; Συνδεθείτε εδώ.
Συνδεθείτε τώρα