Μετάβαση στο περιεχόμενο
Newsletter: Εγγραφείτε στην ημερήσια τεχνική ενημέρωση από το Michanikos.gr ×

Recommended Posts

Δημοσιεύτηκε

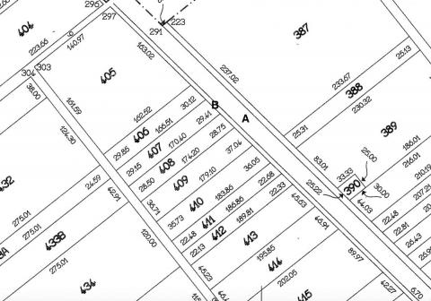
Καλησπέρα σε όλους. Στην εικόνα που ακολουθεί το Β είναι οδός αναδασμού και το Α είναι η παλαιά εθνική οδός Λάρισας - Βολου. Τα τεμάχια 405-406-407-408-409 κοκ θεωρούμε ότι έχουν πρόσωπο σε αγροτικό δρόμο του αναδασμού η στην Π.Ε.Ο. από τη στιγμή που τα δυο αυτά "τεμάχια" είναι όμορα?

post-12963-0-63769200-1511905809_thumb.jpeg

Δημοσιεύτηκε (edited)

υποθετω οτι

η παλαια εθνικη οδος προυπηρχε

και καποια στιγμη εγινε αναδασμος  που "αφησε"  δρομο μεταξυ των γηπεδων και της οδου.

 

Θεωρητικα εχεις προσωπο σε δρομο αναδασμου.

 

Καλο θα ηταν, να μιλησεις με τον συμβολαιογραφο σου

για πώς αντιμετωπιζεται απο πλευρας υπολογισμου αξιας αυτος ο δρομος

 

εστω και αν "πολεοδομικα"  μπορει να κρινεται διαφορετικα

Edited by dimitris GM
Δημοσιεύτηκε

Κάνω μια σκέψη, μήπως οι δυο παράλληλοι δρόμοι εκατέρωθεν της παλαιάς εθνικής οδού αποτελούν βοηθητικούς δρόμους (service roads).

Σίγουρα διαχωρίζουν την τοπική από την υπερτοπική κυκλοφορία διευκολύνοντας την πρόσβαση στις καλλιεργούμενες ιδιοκτησίες και ενδεχομένως, ακόμη και χωρίς κάποια ειδική απόφαση χαρακτηρισμού να υπακούουν στο χαρακτηρισμό που δόθηκε βάσει της Αποφ-ΔΜΕΟ/ο/9244/ε/1242/11-12-07   (ΦΕΚ-560/ΑΑΠ/31-12-07).

Αν υποτεθεί ότι κάποτε η εθνική οδός αποτελούσε πρωτεύον εθνικό δρόμο, μετά την κατασκευή και λειτουργία άλλης νέας εθνικής οδού, το πιθανότερο είναι ο δρόμος να υποβιβάστηκε σε δευτερεύοντα εθνικό δρόμο. Οπότε, αν υπάρξει απόδειξη για τις δυο παράλληλες οδούς, ως βοηθητικές (S.D), αυτές μπορεί είναι ένα επίπεδο πιο κάτω, δηλαδή  μπορεί να ανήκουν στο τριτεύων εθνικό δίκτυο.

  • 5 years later...
Δημοσιεύτηκε

Καλησπέρα σε όλους. Στο παρακάτω σκαρίφημα το  γήπεδο που έχει πρόσωπο; Έχω βρει τους τρεις διαφορετικούς χαρακτηρισμούς που τους αναγράφω.

Σκαρ..jpg

Δημοσιεύτηκε

Το βέβαιο είναι ότι έχει πρόσωπο επί της ε.ο. (όριο απαλλοτρίωσης)

Για το χαρακτηρισμό του δρόμου, θα δεις τη μελέτη της ε.ο., από την Κτηματική Υπηρεσία

Δημιουργήστε ένα λογαριασμό ή συνδεθείτε προκειμένου να αφήσετε κάποιο σχόλιο

Πρέπει να είστε μέλος για να μπορέσετε να αφήσετε κάποιο σχόλιο

Δημιουργία λογαριασμού

Κάντε μια δωρεάν εγγραφή στην κοινότητά μας. Είναι εύκολο!

Εγγραφή νέου λογαριασμού

Σύνδεση

Εάν έχετε ήδη λογαριασμό; Συνδεθείτε εδώ.

Συνδεθείτε τώρα
×
×
  • Create New...

Σημαντικό

Χρησιμοποιούμε cookies για να βελτιώνουμε το περιεχόμενο του website μας. Μπορείτε να τροποποιήσετε τις ρυθμίσεις των cookie, ή να δώσετε τη συγκατάθεσή σας για την χρήση τους.