imhotep Δημοσιεύτηκε September 6, 2015 at 03:18 μμ Δημοσιεύτηκε September 6, 2015 at 03:18 μμ εκ πρώτης όψεως έχεις πλήρως διανοιγμένο πρόσωπο όσον αφορά στην ιδιοκτησία σου και είναι σε σχέδιο πόλης αυτό? η ρυμοτομούμενη προσθήκη δεν σου δημιουργεί πρόβλημα πρόσβασης στην "κεντρική" οδό το ερώτημα που υπάρχει είναι αν οι προς Β ιδιοκτησίες (και οι λοιπές γύρωθεν) είναι άρτιες και οικοδομήσιμες ή προς τακτοποίηση δηλ. αν προβλέπεται συνέχιση της οδού (1) ή αν τερματίζει εκεί από σχέδιο πόλης (2) (δεν το διευκρινίζεις) στην πρώτη περίπτωση θα γίνουν άρτιες και οικοδομήσιμες με την διάνοιξη της οδού οπότε ουδέν πρόβλημα στην δεύτερη περίπτωση μπαίνεις σε άλλες διαδικασίες
KOKARADI Δημοσιεύτηκε September 6, 2015 at 04:27 μμ Δημοσιεύτηκε September 6, 2015 at 04:27 μμ (edited) ειναι σε σχεδιο πολης και η οδος στο διαγραμμα εφαρμογης συνεχιζεται ασχετα αν υπαρχει περιφραξη θα αναζητησω αυριο και περισσοτερα στοιχεια για την κατασταση της ιδιοκτησιας Γ με τα ρυμοτομουμενα Με απασχολει το γεγονος αν μπορω υπο αυτες τις συνθηκες(ρυμοτομουμενα ιδικτησια Γ και η περιφραξη ιδ Β ) να βγαλω αδεια Edited September 6, 2015 at 04:37 μμ by KOKARADI
imhotep Δημοσιεύτηκε September 6, 2015 at 07:06 μμ Δημοσιεύτηκε September 6, 2015 at 07:06 μμ γνώμη μου μπορείς η λάθος εφαρμογή της ΟΓ από τις άλλες ιδιοκτησίες έγινε μετά το σχ. πόλης? αν ναι δεν σε αφορά σε καμμία περίπτωση αν όχι και πάλι δεν βλέπω πρόβλημα αφού δεν μειώνεται μπροστά στην ιδιοκτησία σου το πλάτος και υπάρχει επαρκής χώρος για πρόσβαση
KOKARADI Δημοσιεύτηκε September 7, 2015 at 02:54 μμ Δημοσιεύτηκε September 7, 2015 at 02:54 μμ imhotep ευχαριστω αυριο θα εχω την αδεια της προσθηκης της ιδ Γ. Μαλλον θα δειχνεται χωρις προβλημα ρυμοτομησης το παλιο κτισμα .Θαχεις νεα μου
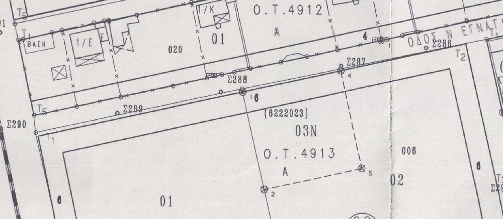
netmin909 Δημοσιεύτηκε January 2, 2020 at 04:01 μμ Δημοσιεύτηκε January 2, 2020 at 04:01 μμ Καλησπέρα και καλη χρονιά! Νέο οικόπεδο που βρίσκεται σε περιοχή επέκτασης έχει πρόσωπο σε δρόμο πλάτους 6μ. Ο δρόμος αυτός υπήρχε και σαν δρόμος διανομής (εκτός σχεδίου) σε μικρότερο πλάτος. Σήμερα είναι χωματόδρομος και δεν έχουν εκτελεστεί έργα υποδομής, ούτε έχει ασφαλοστρωθεί η χαλικοστρωθεί. Παρόλα αυτά δεν υπάρχει κάποιο εμπόδιο (περιφράξεις τοιχεία) εντός της προβλεπόμενης οδού. Θα δινατε οικοδομησιμότητα η θα γράφατε ότι θα καταστεί οικοδομήσιμο μετά την κατασκευή της οδού?
tetris Δημοσιεύτηκε January 2, 2020 at 04:29 μμ Δημοσιεύτηκε January 2, 2020 at 04:29 μμ Τι έχει καταγραφεί στην πολ. μελέτη? Τι γίνεται με την Π.Ε.? Αν το πραγματικό όριο του οικοπέδου δεν είναι στη ρ.γ. αλλά πιο έξω, θα πρέπει να κάνεις παραχώρηση σε κ.χ. της αντίστοιχης λωρίδας, προκειμένου να αποκτηθεί πρόσωπο. Τότε, μπορείς να δώσεις αρτιότητα-οικοδομησιμότητα. Καλή χρονιά και καλές δουλειές
nbr Δημοσιεύτηκε January 2, 2020 at 04:55 μμ Δημοσιεύτηκε January 2, 2020 at 04:55 μμ Κάποια πράγματα μας τα λέει και ο tetris. Eχεις μία επέκταση ενος Ρ. Σχ. Έχει κυρωθεί η Π.Ε. ; Αν ναι ξεχνάς τις διανομές και τους δρόμους που υπήρχαν τότε. Τώρα έχεις μία νέα κατάσταση. Είσαι πλέον εντός νέου ρ. σχ. και αυτό το Ρ. σχέδιο συνοδεύεται πλέον από καινούριους κανόνες, δηλ. το διάταγμα ρυμοτομίας με τους νέους όρους δόμησης. Παίρνεις λοιπόν τους όρους δόμησης ... τους μελετάς και βλέπεις αν κτίζεις ή όχι (οι πράξεις συνήθως προσπαθούν να δώσουν οικοδομήσιμα οικόπεδα). Καμία, μα καμία σημασία δεν έχει αν ο δρόμος είναι διαμορφωμένος ή όχι (τουλάχιστον δεν πρέπει να έχει). Κάνεις συγχρόνως τις αιτήσεις σου για νερό και ρεύμα , αν δεν έχεις, αφού φυσικά πληρώσεις, υπερ ΕΤΕΡΠΣ, την εισφορά σε γη που χρωστά το οικόπεδο. Ωραίο σχέδιο.
netmin909 Δημοσιεύτηκε January 2, 2020 at 05:05 μμ Δημοσιεύτηκε January 2, 2020 at 05:05 μμ (edited) Η Π.Ε έχει ολοκληρωθεί προ 15ετιας. Το συγκεκριμένο οικόπεδο είναι νέο (έχει προέλθει από τις εισφορές), και έχει δωθεί στον πελάτη μου λόγω ρυμοτόμησης οικοπέδου του σε άλλη θέση. Ανεβάζω και το διάγραμμα της Π.Ε. Σε ευχαριστώ Nbr για το σχόλιο. Καλή χρόνια Tetris. Edited January 2, 2020 at 05:25 μμ by netmin909
dimitris GM Δημοσιεύτηκε January 2, 2020 at 05:25 μμ Δημοσιεύτηκε January 2, 2020 at 05:25 μμ - η διανοιξη των κοινοχρηστων ειναι υποχρεωση των Δημων, γι' αυτο παιρνει την εισφορα σε χρημα. Τις παληες καλες εποχες εδινε τα υψομετρα ο Δημος, εκανε ο εργολαβος τις κρασπεδωσεις κλπ πραξεις οδοστρωσιας και εχτιζε.[ και ειχε λαμβανειν...]...στο αγελαδοκούρεμα.... - δικαιουσαι να ζητησεις απον Δημο http://www.hersonisos.gr/citizen/urban-planning/justification5.html - τα οικοπεδα "Ν' ειναι ειδικη κατηγορια και δινονται σε αντικατασταση άλλων.. Αν εισαι σε πυκνοκατοικημενα, δες μηπως εχεις καποιες προσθετες επιβαρύνσεις στην στηλη "τακτοποιήσεις" Για μενα "Το οικόπεδο ειναι αρτιο και οικοδομησιμο, με υποχρεωση του Δημου να προβει σε διανοιξη του δρομου." υγ Εχεις και αυτη τη δυνατοτητα https://www.michanikos.gr/forums/topic/28747-κοινόχρηστος-χώρος/?do=findComment&comment=985549 {Χρονια Πολλα στους συνομιλητες]
netmin909 Δημοσιεύτηκε January 2, 2020 at 05:32 μμ Δημοσιεύτηκε January 2, 2020 at 05:32 μμ (edited) Σε αυτό ακριβώς ήθελα να εστιάσω Δημήτρη. Αν δηλαδή με αυτόν τον χωματόδρομο θεωρείται ότι έχει διανοιχτεί ο δρόμος είναι ή αν πρέπει να ρίξει ο Δήμος λίγο χαλίκι και να κάνει και κάνα κράσπεδο. Χρόνια Πολλά με υγεία! Edited January 2, 2020 at 05:35 μμ by netmin909
Recommended Posts
Δημιουργήστε ένα λογαριασμό ή συνδεθείτε προκειμένου να αφήσετε κάποιο σχόλιο
Πρέπει να είστε μέλος για να μπορέσετε να αφήσετε κάποιο σχόλιο
Δημιουργία λογαριασμού
Κάντε μια δωρεάν εγγραφή στην κοινότητά μας. Είναι εύκολο!
Εγγραφή νέου λογαριασμούΣύνδεση
Εάν έχετε ήδη λογαριασμό; Συνδεθείτε εδώ.
Συνδεθείτε τώρα