Pavlos33 Δημοσιεύτηκε January 23, 2015 at 08:11 πμ Δημοσιεύτηκε January 23, 2015 at 08:11 πμ (edited) Aν μιλάμε για όμορα ίδιου ή ίδιων ιδιοκτητών έγινε στην πραγματικότητα συνένωση κατά την έκδοση της άδειας χωρίς να απαιτείται συμβολαιογραφική πράξη. Η οικοδομική άδεια σε τίνος όνομα έχει εκδοθεί; Edited January 23, 2015 at 08:11 πμ by Pavlos33
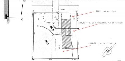
nzerman Δημοσιεύτηκε January 23, 2015 at 08:38 πμ Δημοσιεύτηκε January 23, 2015 at 08:38 πμ (edited) Δεν είναι του ίδιου, είναι όμορα, τρία συνεχή, το ενδιάμεσο όμως είναι με μίσθωση για 15 χρονια απο την περιφέρεια προς στον ιδιοκτήτη των δυο άλλων. Δεν υπάρχει εν τοις πράγμασι συνένωση. Με ένα άλλο, διαφορετικό τρόπο σκέψης νομίζω πως το συνολικό δεν είναι άρτιο και οικοδομήσιμο, κακώς δόθηκε η άδεια. Και τα τρία είναι ενός της ζώνης των 500 μέτρων. Edited January 23, 2015 at 09:44 πμ by nzerman
dimitris GM Δημοσιεύτηκε January 23, 2015 at 11:07 πμ Δημοσιεύτηκε January 23, 2015 at 11:07 πμ Στο μισθωτηριο απο την Περιφερεια, πρεπει να περιλαμβανει και την αδεια δομησης και -πιθανον- και λεπτομερειες ορους δομησης και τον σκοπο για τον οποιο εγινε η παραχωρηση. Τα δυο γηπεδα που βρισκονται εκατερωθεν του δημοσιου, ειτε ανηκουν σε εναν ειτε σε δυο, δεν μπορουν να συνενωθουν ούτε "τοις πραγμασι" ούτε με συμβολαιο...αφου ενδιαμεσα τα χωριζει το δημοσιο Για την αδεια, θα δεις λεπτομερειες στο πινακακι...καποια νομο ή καποια διαταξη θα εχει... Εκτος αν στο μεσαιο εχει χτισθει νομιμο κτισμα, όπως δειχνει και το δικο σου σχεδιακι. και απλα "κολλησαν" απο διπλα καποια ...αυθαιρετα... τα λεμε
nzerman Δημοσιεύτηκε January 23, 2015 at 12:56 μμ Δημοσιεύτηκε January 23, 2015 at 12:56 μμ Το σχεδιάκι δεν είναι δικό μου, είναι απόσπασμα απο το εγκεκριμένο διάγραμμα δόμησης Το κτίριο είναι ενα που ¨πατάει ¨ και στα τρία γεωτεμάχια Το μισθωτήριο αναφέρει το σκοπό και γενικότερους όρους Το τοπογραφικό αναφέρει μόνο όρους δόμησης, αυτούς του 270 Δ
dimitris GM Δημοσιεύτηκε January 23, 2015 at 05:50 μμ Δημοσιεύτηκε January 23, 2015 at 05:50 μμ πιθανον απο το περιεχομενο του παραχωρητηριου να ειχε δικαιωμα να τα θεωρησει σαν "ενα" και να εκδοσει ΟΑ Μαλλον ειναι ο ιδιος ιδιοκτητης στα άλλα δυο...ή ενοικιαστης... Παντως, αφου υπαρχει νομιμη ΟΑ αυτη ισχυει.......αφου δεν εχει ανακληθει τις καλησπερες μου
nzerman Δημοσιεύτηκε January 23, 2015 at 06:19 μμ Δημοσιεύτηκε January 23, 2015 at 06:19 μμ Δημήτρη δε κάνω ρύθμιση αυθαιρέτου, κάνω άλλου είδους έλεγχο, η άδεια έχει το τεκμήριο της νομιμότητας αλλά ως ένα σημείο. Εδώ κατά τη γνώμη προδήλως δεν υπάρχει αρτιότητα και κανένας περιφεριάρχης δε μπορεί να τη δώσει, δεν είναι αρμόδιος. Άλλωστε το παραχωρητήριο τίποτα σχετικό δεν αναφέρει.
nzerman Δημοσιεύτηκε January 23, 2015 at 06:19 μμ Δημοσιεύτηκε January 23, 2015 at 06:19 μμ Δημήτρη δε κάνω ρύθμιση αυθαιρέτου, κάνω άλλου είδους έλεγχο, η άδεια έχει το τεκμήριο της νομιμότητας αλλά ως ένα σημείο. Εδώ κατά τη γνώμη προδήλως δεν υπάρχει αρτιότητα και κανένας περιφεριάρχης δε μπορεί να τη δώσει, δεν είναι αρμόδιος. Άλλωστε το παραχωρητήριο τίποτα σχετικό δεν αναφέρει.
dimitris GM Δημοσιεύτηκε January 23, 2015 at 06:39 μμ Δημοσιεύτηκε January 23, 2015 at 06:39 μμ προφανως, αν απο τα στοιχεια που εχεις, κρινεις οτι τα οσα εγιναν παραβιαζουν πολεοδομικες διαταξεις εσυ τα καταγραφεις
doulgerakish Δημοσιεύτηκε February 7, 2015 at 04:23 μμ Δημοσιεύτηκε February 7, 2015 at 04:23 μμ Σε εκτός σχεδίου-οικισμού γήπεδο, με έκτση 7500τμ και πρόσωπο 46μ σε αγροτικό δρόμο (υπάρχει και στο χάρτη του ΓΥΣ) υπάρχει η δυνατότητα ανέγερσης βιομηχανικού κτιρίου (μεταποίηση)??
nzerman Δημοσιεύτηκε February 7, 2015 at 05:11 μμ Δημοσιεύτηκε February 7, 2015 at 05:11 μμ Ο χαρακτηρισμός του δρόμου δεν αποδεικνύεται απο τον χάρτη της ΓΥΣ. Ποτέ δημιουργήθηκε το γεωτεμάχιο;
Recommended Posts
Δημιουργήστε ένα λογαριασμό ή συνδεθείτε προκειμένου να αφήσετε κάποιο σχόλιο
Πρέπει να είστε μέλος για να μπορέσετε να αφήσετε κάποιο σχόλιο
Δημιουργία λογαριασμού
Κάντε μια δωρεάν εγγραφή στην κοινότητά μας. Είναι εύκολο!
Εγγραφή νέου λογαριασμούΣύνδεση
Εάν έχετε ήδη λογαριασμό; Συνδεθείτε εδώ.
Συνδεθείτε τώρα