Γιωργο Δημοσιεύτηκε June 11, 2020 at 01:41 μμ Δημοσιεύτηκε June 11, 2020 at 01:41 μμ On 23/5/2020 at 9:35 ΠΜ, tetris said: Για υφιστάμενα, προ της ανωτέρω ημερομηνίας, οικόπεδα ισχύει η παρ. 1 του άρθρου 6 του Π.Δ. 24-4-85 (όπως έχει τροποποιηθεί και ισχύει), δίχως απαίτηση συγκεκριμένου μήκους προσώπου. Σε ευχαριστώ για την απάντηση!
Megapad Δημοσιεύτηκε October 14, 2020 at 09:22 πμ Δημοσιεύτηκε October 14, 2020 at 09:22 πμ Συνάδελφοι σε εδαφική έκταση 4 στρεμμάτων ΄περίπου το 1995 παραχωρήθηκε δρόμος πλάτους 4 μ. και δημιουργήθηκαν 4 οικόπεδα του 1 στρέμματος. Το 2000 με απόφαση ορίζεται νέο πλάτος οδού για οτν εν λόγω οισμό στα 6 μ. Τότε παραχωρήθηκε εδαφική λωρίδα από τον ιδιοκτήτη των οικοπέδων για να καταστούν τα οικόπεδα οικοδομήσιμα. Τα 2 από τα 4 απέκτησαν εμβαδόν μικρότερο των 1000 τμ το οποίο είναι όριο αρτιότητας. Γνωρίζω πως τα οικόπεδα τώρα δεν είναι οικοδομήσιμα εξαιτίας του νόμου της Μπιρμπίλη. Ωστόσο εμένα με ενδιαφέρει αν το οικόπεδο το 2000 ήταν άρτιο και οικοδομήσιμο καθώς εκδοθήκαν ο.α. και εγω σήμερα πραγματοποιώ τακτοποίηση. Το ερώτημα μου είναι πως στο άρθρο 5 παρ. 1γ του (ΦΕΚ-181/Δ/3-5-85) αναφέρει: γ) Για την αρτιότητα των γηπέδων προσμετράται και η τυχόν έκταση που παραχωρείται από τον ιδιοκτήτη για τη δημιουργία κοινόχρηστου χώρου. Εμπίπτουν τα τετραγωνικά που παραχώρησε ο πελάτης για διαπλάτυνση?
Architect90 Δημοσιεύτηκε October 16, 2020 at 10:11 πμ Δημοσιεύτηκε October 16, 2020 at 10:11 πμ (edited) Καλημέρα! Έχουμε οικόπεδο εντός οικισμού, εμβαδού 850τμ και προσώπου 12μέτρα. Με φεκ οροθετήθηκε ο οικισμός και χαρακτηρίστηκε ως αδιάφορος στάσιμος μικρός και το φεκ του οικισμού αναφέρει ελάχιστη αρτιότητα 300τμ, κατά παρέκκλιση όσο είχαν αν προϋπάρχουν του 85 και ότι ισχύουν οι όροι του 181Δ/1985. Έχουμε μια μεγάλη Δημοτική οδό που φαίνεται και στην αεροφωτογραφία της ΓΥΣ. Σαυτόν τον δρόμο κάνει μια μικρή παράκαμψη με ένα μικρό δρομάκι το οποίο περνάει μπροστά από το δικό μας, όπου και ακουμπάει σε πρόσωπο και καταλήγει σε ένα άλλο οικόπεδο. Εξυπηρετεί δηλαδή αυτά τα δύο οικόπεδα μόνο. Ο ιδιοκτήτης δεν ξέρει ποιανού είναι το κομμάτι αυτό του δρόμου. Θα ρωτήσω τον διπλανό, αν του ανήκει. Αν δεν ανήκει σε κανενα μπορεί να είναι κοινόχρηστος χώρος και πως αποδεικνύεταi αφου δεν φαινεται στην γυς; Απέχει 30 εκατοστά απο την δημοτική οδό. Αν είναι του διπλανού σημαίνει ότι είναι μη άρτιο και μη οικοδομήσιμο; αν ακουμπάει έστω και ένα εκατοστό και προυπάρχει του 85στην Δημοτική οδό ειμαστε εντάξει έτσι; Edited October 16, 2020 at 10:53 πμ by Architect90
WHITE Δημοσιεύτηκε February 23, 2021 at 08:28 πμ Δημοσιεύτηκε February 23, 2021 at 08:28 πμ Καλημέρα, εχω μια περίπτωση εσωτερικού οικοπέδπυ εντός οικισμού που η μία πλευρά του οικόπεδου 2.30μ εφάπτεται όλη του δρόμου σε κοινή χρηση- ειναι αδιέξοδος. Το οικόπεδο δεν έχει νόημα να παραχωρήσει αλλά οι όμοροι γείτονες ώστε το πλάτος να μεγαλώσει...δεν γίνεται όμως γιατί έχουν κτίσει παλία προ του 55. τι κάνουμε??
Pavlos33 Δημοσιεύτηκε February 23, 2021 at 09:01 πμ Δημοσιεύτηκε February 23, 2021 at 09:01 πμ 33 λεπτά πριν, WHITE said: τι κάνουμε?? Ανεβάζεις τοπογραφικό να καταλάβουμε το ερώτημα. 1
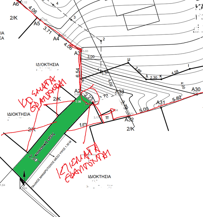
WHITE Δημοσιεύτηκε February 23, 2021 at 12:44 μμ Δημοσιεύτηκε February 23, 2021 at 12:44 μμ 3 ώρες πριν, Pavlos33 said: Ανεβάζεις τοπογραφικό να καταλάβουμε το ερώτημα. Σε ευχαριστω , επισυναπτω μερος του τοπογραφικου.
Pavlos33 Δημοσιεύτηκε February 23, 2021 at 02:39 μμ Δημοσιεύτηκε February 23, 2021 at 02:39 μμ Είναι ένα θέμα που μας έχει απασχολήσει αρκετά στο φόρουμ αλλά σίγουρη απάντηση δεν υπάρχει, διότι τόσα χρόνια καμία ερμηνευτική δεν αναφέρθηκε στην περίπτωση οικοπέδου με πρόσωπο σε κάθετη οδό που να καταλήγει πάνω σε αυτό. Η μια άποψη λέει ότι το οικόπεδο έχει πρόσωπο σε δρόμο όπου το μήκος του μπορεί να θεωρηθεί σαν πλάτος και να μην απαιτείται προφανώς καμία παραχώρηση (αφού ξεπερνά κατά πολύ τα 4 μ, ενώ η άλλη άποψη είναι αντίθετη και αναφέρει ότι το οικόπεδο δεν έχει πρόσωπο σε δρόμο του οποίου οι οριογραμμή του να εφάπτεται σε κάποια πλευρά και ως εκ τούτου το οικόπεδο δεν είναι οικοδομήσιμο και θα πρέπει είτε να κινηθεί διαδικασία κύρωσης Κ.Χ οικισμού, είτε να επέλθει πολεοδομηση μέσω αρχικά κάποιου εργαλείου πολεοδομικού σχεδιασμού α΄επιπέδου (πχ ΣΧΟΟΑΠ). Δοκίμασε προέγκριση Ο.Α να έχεις έτσι επίσημο έγγραφο. Σε περίπτωση που ο δρόμος στον οποίο έχει πρόσωπο ένα οικόπεδο δεν έχει πλάτος 4 μ αλλά το πρόσωπο καταλαμβάνεται από κτίριο, τότε δεν απαιτείται παραχώρηση προκειμένου το ημιπλατος της οδού να γίνει τουλάχιστον 2 μ. Ο δρόμος είναι σίγουρα κοινόχρηστος (προ 85); Το έχεις ελέγξει; Κάποια Ο.Α μήπως έχει εκδοθεί σε ακίνητο πάνω σε αυτό τον δρόμο; 1
dimitris GM Δημοσιεύτηκε February 23, 2021 at 03:13 μμ Δημοσιεύτηκε February 23, 2021 at 03:13 μμ παυλος :"Η μια άποψη λέει ότι το οικόπεδο έχει πρόσωπο σε δρόμο όπου το μήκος του μπορεί να θεωρηθεί σαν πλάτος και να μην απαιτείται προφανώς καμία παραχώρηση (αφού ξεπερνά κατά πολύ τα 4 μ,]. Πολυ σωστα, διοτι, θα μπορουσε να θεωρηθει οτι, αυτο το "προσωπο" ειναι το "μοναδικο" που εχει το οικοπεδο... αρα προσβλεπει σε δρομο πανω απο 4 μ. καθ' όλο το προσωπό του. καλησπερα Παυλε.. 1
WHITE Δημοσιεύτηκε February 24, 2021 at 11:04 πμ Δημοσιεύτηκε February 24, 2021 at 11:04 πμ (edited) @Pavlos33 n/a Edited February 24, 2021 at 06:00 μμ by WHITE ευαισθητα δεδομενα
Pavlos33 Δημοσιεύτηκε February 24, 2021 at 01:00 μμ Δημοσιεύτηκε February 24, 2021 at 01:00 μμ Όπως ανέφερα και στην αρχική μου δημοσίευση, η συγκεκριμένη περίπτωση μας έχει απασχολήσει έντονα και σίγουρη απάντηση δεν μπορεί να δοθεί καθώς η κάθε ΥΔΟΜ μπορεί να το ερμηνεύσει όπως θέλει, ελλείψει ερμηνευτικής εγκυκλίου για την εν λόγω περίπτωση. Εμφανώς δεν αμφισβητείται η αρτιότητα αλλά η οικοδομησιμότητα και σίγουρα θα "πατήσουν" στο ορισμό "πλάτος οδού". Αν θες μετέφερέ μας τι ανέφερε το έγγραφο περί ανάκλησης της Ο.Α. Για ποιο λόγο ανακλήθηκε; 1
Recommended Posts
Δημιουργήστε ένα λογαριασμό ή συνδεθείτε προκειμένου να αφήσετε κάποιο σχόλιο
Πρέπει να είστε μέλος για να μπορέσετε να αφήσετε κάποιο σχόλιο
Δημιουργία λογαριασμού
Κάντε μια δωρεάν εγγραφή στην κοινότητά μας. Είναι εύκολο!
Εγγραφή νέου λογαριασμούΣύνδεση
Εάν έχετε ήδη λογαριασμό; Συνδεθείτε εδώ.
Συνδεθείτε τώρα