andan
Members-
Περιεχόμενα
133 -
Εντάχθηκε
-
Τελευταία επίσκεψη
Τύπος περιεχομένου
Profiles
Φόρουμ
Downloads
Gallery
Ειδήσεις
Media Demo
Αγγελίες
Store
Everything posted by andan
-
Καλησπέρα, οι αυθαίρετες κατασκευές πριν το 1983 σε στάσιμους οικισμούς πως "πιστοποιούνται", από το γεγονός ότι δεν μπαίνουν σε δήλωση αυθαιρέτων; Η αναφορά τους σε ένα τοπογραφικό διάγραμμα είναι αρκετή, νομίζω, για κάποιες περιπτώσεις, όπως π.χ. συμβόλαια κτλ.Για άλλες όπως π.χ. η ένταξη τους στο εξ' οικονομώ;Χρειάζεται κάτι επιπλέον; καλό απόγευμα
-
Δεν ενδιαφέρονται για να χτίσουν, απλώς να πάρει ο καθένας το κομμάτι του, ξεχωριστά και ανεξάρτητο.
-
Έχω την παρακάτω περίπτωση γηπέδου: Σε αγροτεμάχιο (κληροτεμάχιο διανομής) 8400 τ.μ. (σύμφωνα με το κτηματολόγιο), εξ' αδιαιρέτου σε τρεις ιδιοκτήτες, έγινε απαλλοτρίωση 4459 τ.μ. για την διάνοιξη της ιόνιας οδού και παράλληλου επαρχιακού δρόμου. Το νέο αγροτεμάχιο 3841 τ.μ. με βάση την αφαίρεση, 4070 τ.μ. με βάση τις μετρήσεις, που προέκυψε μπορεί να κατατμηθεί σε τρία ανεξάρτητα τμήματα, που θα αντιστοιχούν στα ποσοστά των ιδιοκτητών; (έχει πρόσωπο 80 μ. περίπου στον παράλληλο δρόμο)
-
Οριζόντια και κάθετη ιδιοκτησία επί κοινού οικοπέδου
andan replied to KostisV1984's θέμα in Αρχιτεκτονικά
Να με συμπαθάτε που επιμένω με μια προσωπική περίπτωση...Το οικόπεδο τελικά είναι χωρισμένο σε δύο ανεξάρτητα οικόπεδα και προσπαθώ να κάνω σύσταση ΟΙ στο αριστερό όπου υπάρχει μία διώροφη οικοδομή με 2 ισόγεια και 2 διαμερίσματα πρώτου ορόφου, ένα άλλο ισόγειο κτίσμα και το μισό από ένα άλλο. Θα μπορούσαμε να τα θεωρήσουμε ως μία ενότητα κτλ. Γίνεται αυτή η σύσταση οριζοντίων ιδιοκτησιών; -
Οριζόντια και κάθετη ιδιοκτησία επί κοινού οικοπέδου
andan replied to KostisV1984's θέμα in Αρχιτεκτονικά
Επειδή στην παράπανω περίπτωση υπάρχουν πολλά κτίρια η σύσταση ΟΙ γίνεται κανονικά πχ όπως αν είχαμε μία πολυκατοικία; δηλαδή ισόγειο α1 ο τάδε, ισόγειο α2 ο τάδε, πρώτος όροφος α1 δ δείνα, ισόγειο δ ο χ, ισόγειο ο ψ κοκ και ΄για το ποσοστό επί των κτιρίων αθροίζω όλα τα τμ των κτιρίων και ανάλογα...; Μπορούν να ορίσουν και περιοχές αποκλειστικής χρήσης ο καθένας και κοινόχρηστους χώρους, πρέπει όμως να φαίνεται στο τοπογραφικό. Σωστά; -
Οριζόντια και κάθετη ιδιοκτησία επί κοινού οικοπέδου
andan replied to KostisV1984's θέμα in Αρχιτεκτονικά
Χωρίς να το χωρίσω πρώτα σε δύο κάθετες στη μέση; Γιατί αν κατάλαβα καλά μόνο ο ένας θέλει να το μοιράσει στα παιδιά, ο άλλος μάλλον όχι (υπάρχει και αυτό το μπέρδεμα επιπλέον που δεν το ανέφερα...). -
Οριζόντια και κάθετη ιδιοκτησία επί κοινού οικοπέδου
andan replied to KostisV1984's θέμα in Αρχιτεκτονικά
Αρχικά είναι δύο αδέρφια που θέλουν να το χωρίσουν στη μέση (μωβ γραμμή). Ο ένας αδερφός έχει τρία παιδιά και το δικό του τμήμα, το αριστερό θέλει να το δώσει στα τρία του παιδιά οπως ανέφερα δηλαδή τα παιδιά του θέλουν: ισόγειο-1ος όροφος (α1) ο πρώτος, ισόγειο-1ος όροφος(α2) ο δεύτερος και δ+ε1 ο τρίτος. Τα κτίρια είναι χωρισμένα με μεσοτοιχία.Έχει υπόλοιπο σδ περίπου 50 τ.μ.. (ευχαριστώ για τη βοήθεια) -
Οριζόντια και κάθετη ιδιοκτησία επί κοινού οικοπέδου
andan replied to KostisV1984's θέμα in Αρχιτεκτονικά
Μήπως γνωρίζει κανείς πως χωρίζεται το παρακάτω οικόπεδο; Ανήκει εξ αδιαιρέτου σε δύο αδέρφια και θέλουν να το χωρίσουν (μωβ γραμμή) κάνοντας νέα συμβόλαια, με κάθετη λογικά, σε δύο μέρη, αριστερά και δεξιά. Μετά ο ένας που θα πάρει το αριστερό θέλει να το μοιράσει στα παιδιά του. Δηλαδή ένας να πάρει το ισόγειο και τον πρώτο, το α1 κτίριο, ο άλλος το α2 και υπάρχουν και δύο ισόγεια μικρά σπιτάκια που θα πάρει ο τρίτος δηλ. δ και το ε1. Μοιράζεται όπως θέλει; Με κάθετες και οριζόντιες ή μόνο με κάθετες; -
Καλησπέρα Υπάρχει η εξής περίπτωση: Σε οικόπεδο εντός οικισμού βρίσκονταν μία κατοικία προ του '55 και το '83 βγήκε άδεια προσθήκης ισόγειας αποθήκης 25 τ.μ.. Έχτισαν όμως μία ισόγεια αποθήκη 25 τ.μ. με ύψος 1,80 και από πάνω άλλα 25 τ.μ. κατοικία, ύψους 3 μ., έτσι ώστε το επίπεδο της προ του '55 και της νέας να ταυτιστούν λόγο κλίσης. Θα ήθελα να ρωτήσω η ρύθμιση γίνεται με αναλυτικό ή κανονικά με υπέρβαση;
-
Καλησπέρα Σε στάσιμο οικισμό υπήρχε ένα οικόπεδο με μία ισόγεια ξύλινη κατασκευή 20 τ.μ. - θα μπορούσε να χαρακτηριστεί και κατοικία- η οποία είχε κατασκευαστεί το'50 περίπου. Το '98 αγοράστηκε το οικόπεδο από νέο ιδιοκτήτη και στη θέση της παλιάς ξύλινης κατασκευής έφτιαξε νέα πέτρινη και στη συνέχεια την επέκτεινε σε 50 τ.μ..Μπορεί να θεωρήσουμε ότι έγινε αλλαγή χρήσης των 20 τμ και προστέθηκαν άλλα 30 τμ για τη ρύθμιση; ή και όχι αλλαγή χρήσης, αλλά ότι προϋπήρχαν αυτά τα 20 τμ.
-
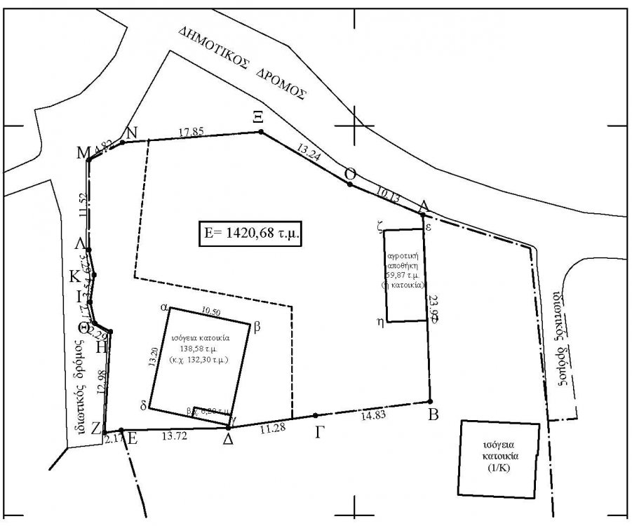
Καλημέρα, Ένα γεωτεμάχιο εκτός οικισμού 5 στρ. αγοράστηκε το 1986 ,από 10 ιδιοκτήτες και συντάχθηκε συμβόλαιο στο οποίο αναφέρεται ότι ο καθένας έχει ποσοστό 10/100, εξ' αδιαιρέτου, με τοπογραφικό διάγραμμα που φαίνεται ο καθένας με το τμήμα του βάσει ιδιωτικού συμφωνητικού που έγινε μεταξύ τους και έχτισαν στο κομμάτι του, έκαστος, αυθαίρετα. Αν καταλαβαίνω καλά σύμφωνα με το αρθρο 98 του 4495 για να ρυθμιστούν τα αυθαίρετα κτίσματα μπορεί να θεωρηθεί ότι έγινε σύσταση καθέτων ιδιοκτησιών και ο καθένας ρυθμίζει το δικό του; Στη δήλωση του κτηματολογίου δηλώνει ο καθένας το ποσοστό του;
-
Σ΄ευχαριστώ για τη βοήθεια Δηλαδή όλο (το ΑΒΓ...ΟΑ) είναι άρτιο και οικοδομήσιμο κατά παρέκκλιση (προ τις 13-3-81).
-
Καλησπέρα, χρόνια πολλά και καλή χρονιά να έχουμε. Ένα κληροτεμάχιο 4,5 στρ. της διανομής του 1937 ενός οικισμού προυφιστάμενου του 1923, μοιράστηκε από τον πατέρα στα παιδιά του και πήραν από 1,5 στρ., το καθένα, χωρίς βέβαια συμβολαιογραφικές πράξεις κτλ., πριν 60-70 χρόνια, και ο καθένας οικοδόμησε στο κομμάτι του, χωρίς άδεια, την δεκαετία του εξήντα. Σήμερα τα εγγόνια θέλουν να κάνουν συμβόλαια, με χρησικτησία μάλλον, για ένα από τα οικόπεδα του ενάμιση στρέμματος, να το χωρίσουν ανάλογα και να οικοδομήσουν. Και το θέμα είναι αν χωρίζεται και οικοδομείται; Σε αυτόνομα τμήματα δεν νομίζω αλλά δεν ξέρω αν και με κάθετες χτίζουν. Επισυνάπτω ένα σκαρίφημα (στο οποίο φαίνεται και με διακεκομμένη τα δύο νέα τμήματα 620 και 800 τ.μ.) και τους όρους δόμησης του οικισμού. Σας ευχαριστώ εξαρχής .
-
Τοπογραφικά Διαγράμματα για Ψηφιακή Υποβολή
andan replied to netmin909's θέμα in Τοπογραφικά-Χωροταξικά
Σ΄ ευχαριστώ πολύ.- 1.345 απαντήσεις
-
- τοπογραφικό
- διάγραμμα
-
(and 4 more)
Με ετικέτα:
-
Τοπογραφικά Διαγράμματα για Ψηφιακή Υποβολή
andan replied to netmin909's θέμα in Τοπογραφικά-Χωροταξικά
Σε ποιο mail στέλνουμε;- 1.345 απαντήσεις
-
- τοπογραφικό
- διάγραμμα
-
(and 4 more)
Με ετικέτα:
-
Τοπογραφικά Διαγράμματα για Ψηφιακή Υποβολή
andan replied to netmin909's θέμα in Τοπογραφικά-Χωροταξικά
Ενώ βγάζει ότι το dxf είναι εντάξει, μετά στη θέαση δεν εμφανίζεται το κτίριο ούτε τα τελικά όρια...Έχω όλη μέρα και νύχτα...τι γίνεται...;- 1.345 απαντήσεις
-
- τοπογραφικό
- διάγραμμα
-
(and 4 more)
Με ετικέτα:
-
Τοπογραφικά Διαγράμματα για Ψηφιακή Υποβολή
andan replied to netmin909's θέμα in Τοπογραφικά-Χωροταξικά
Καλημέρα και χρόνια πολλά Μήπως γνωρίζει κανείς για το σφάλμα που βγάζει στη θέαση διαγράμματος "Προέκυψε σφάλμα στη ανάκτηση των Πολυγώνων των ακινήτων " Όλα έχουν γίνει σωστά και τελικά δεν εμφανίζεται ούτε το topo_prop ούτε το BLD στη θέαση αλλά ούτε τα κουτάκια στα θεματικά επίπεδα.Η περιοχή είναι εντός κτηματολογίου το οποίο εμφανίζεται με μαύρο φόντο! Δεν ξέρω αν παίζει ρόλο η διαφορά του εμβαδού του κτηματολογίου και του μετρημένου που είναι 30 τ.μ..- 1.345 απαντήσεις
-
- τοπογραφικό
- διάγραμμα
-
(and 4 more)
Με ετικέτα:
-
καλησπέρα, σε οικόπεδο (εντός στάσιμου οικισμού μάλιστα) κατασκευάστηκε ισόγεια κατοικία με οικ. άδεια του '77. Το 99 προστέθηκε μία αποθήκη 13 τ.μ. και 3,30 μ. ύψος δίπλα στην κατοικία, σε απόσταση ενός μέτρου. Παράλληλα, επειδή το οικόπεδο βρίσκεται σε πλαγιά και περνάει και δρόμος από τα όρια του, κατασκευάστηκε κάτι σαν χώρος στάθμευσης, 30 τ.μ., από τον δρόμο έως την ταράτσα της κατοικίας (όπως φαίνεται και στο σκαρίφημα) δηλαδή από το επίπεδο του δρόμου έως σχεδόν το ύψος της ταράτσας έριξαν πλάκα που κάθεται σε κολώνες, επέκτειναν τον δρόμο κατά κάποιο τρόπο στο κενό που είχε δημιουργηθεί λόγω ύψους. Για τη ρύθμιση έχουμε 30+13=43 τ.μ. με μειωτικό συντελεστή 50%; ή τα 13 τ.μ. της αποθήκης με -50% και το άλλο με αναλυτικό; ή κάπως αλλιώς; ευχαριστώ... ..
-
Δεν είχαν στείλει την αίτηση ηλεκτρονικά για να ολοκληρωθεί η διαδικασία....... μήπως γνωρίζει κανείς για το σφάλμα που βγαίνει σχετικά με το java υπογράφοντας pdf με jsign
- 813 απαντήσεις
-
- τοπογραφικά
- υποβολή
-
(and 3 more)
Με ετικέτα:
