Όλη η δραστηριότητα
Αυτή η ροή ανανεώνεται αυτόματα
- Past hour
-
Η βεβαίωση του άρθρου 30 δεν είναι κάποιας μορφής άδεια. Δηλώνεις υπεύθυνα ότι δεν απαιτούνται εγκρίσεις από φορείς. Επειδή αναφέρεις ράμπα ΑΜΕΑ, διευκρίνισε αν η ράμπα θα κατασκευαστεί εντός οικοπέδου (αν το ακίνητο βρίσκεται εντός σχεδίου) ή εκτός ρυμοτομικής γραμμής; Όπως ορθώς αναφέρει ο Άκης, μόνο εκτύπωση. Μην αγχωθείς όταν θα δεις ημερομηνία ισχύος την ίδια ημέρα έκδοσης. Όλα αυτά δεν έχουν καμία σημασία. Η βεβαίωση όπως συχνά αναφέρουμε δεν επέχει θέση άδειας ή βεβαίωσης νομιμότητας. Αφορά αποκλειστικά την δήλωση περί μη απαίτησης εγκρίσεων. Συνηθίζουμε (χωρίς να απορρέει από κάποιο νόμο) και προς διασφάλιση της ηρεμίας των πελατών μας, να γράφουμε στην Τ.Ε τις εργασίες από το άρθρο 30 που θα γίνουν, ώστε σε περίπτωση ελέγχου, ο ιδιοκτήτης να έχει να δείξει κάτι.
-
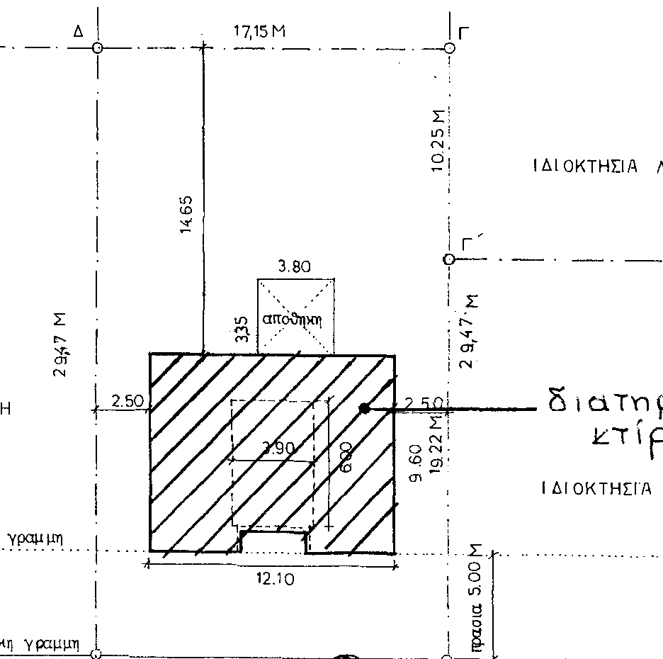
Πελάτης μου επιθυμεί την τακτοποίηση με τις διατάξεις του Ν.4495/2017 ισόγειας αποθήκης σε επαφή με διατηρητέο κτίριο, χαρακτηρισμένο το έτος 2010 με υπουργική απόφαση του ΥΠΕΚΑ. Το διατηρητέο είναι προϋφιστάμενο του 1955 και δεν διαθέτει οικοδομική άδεια. Ήθελα να ρωτήσω τα παρακάτω: 1. Η ειδικότητά μου είναι πολιτικός μηχανικός. Μπορώ να τρέξω εγώ την διαδικασία έγκρισης υπαγωγής στο ΚΕΣΑ ή απαιτείται η υπογραφή αρχιτέκτονα μηχανικού λόγω του ότι το κτίριο είναι διατηρητέο; 2. Στο άρθρο 117, παρ. 1 του Ν.4495/2017 αναφέρει " Για την υπαγωγή στις διατάξεις του παρόντος αυθαίρετων κατασκευών ή χρήσεων που βρίσκονται μέσα στον όγκο των διατηρητέων κτιρίων ή προσθήκες καθ’ ύψος ή κατ’ επέκταση σε ποσοστό που αθροιστικά δεν υπερβαίνει το δέκα τοις εκατό (10%) της συνολικής δόμησης εντός του ακινήτου, καθώς και αυθαιρέτων μεμονωμένων κτισμάτων εντός του ακινήτου στο οποίο υφίσταται διατηρητέο κτίριο σε απόσταση από αυτό μεγαλύτερη του Δ." Η αποθήκη που θέλω εγώ να τακτοποιήσω δεν είναι μέσα στον όγκο του διατηρητέου, ούτε είναι προσθήκη καθ' ύψος ή κατ' επέκταση του διατηρητέου, καθώς αποτελεί ξεχωριστό κτίσμα. Επίσης είναι σε επαφή με το διατηρητέο και δεν βρίσκεται σε απόσταση μεγαλύτερη του Δ που αναφέρει ο νόμος. Αυτό σημαίνει ότι δεν μπορεί να τακτοποιηθεί; Δεν έχει νόημα να ξεκινήσω καν την διαδικασία; Έχω προσπαθήσει να επικοινωνήσω με το ΚΕΣΑ στα τηλέφωνα 2106475101 και 2106475168, αλλά δεν χτυπάνε καν. Είναι σαν να μην χρησιμοποιούνται.
-
Το Υπουργείο Περιβάλλοντος και Ενέργειας εξέδωσε ανακοίνωση στην ιστοσελίδα του προγράμματος Εξοικονομώ 2021 για την έκδοση οριστικών πινάκων αιτήσεων. Η ανακοίνωση: "Σας ενημερώνουμε ότι, εκδόθηκε η υπό στοιχεία ΥΠΕΝ/ΥΔΕΝ/107703/626/ 09.10.2025 απόφαση του Υπουργού Περιβάλλοντος και Ενέργειας, με την οποία εγκρίνονται: οι υπό στοιχεία «Ο.Π.Ε.-Κ.1-15» και «Ο.Π.Ε.-Κ.2.5-15» Οριστικοί Πίνακες Εγκεκριμένων αιτήσεων Μονοκατοικιών/Μεμονωμένων διαμερισμάτων. ο υπό στοιχεία «ΠΟΛ-Ο.Π.Ε.-12» Οριστικός Πίνακας Εγκεκριμένων αιτήσεων Πολυκατοικιών οι υπό στοιχεία «ΠΠΑ-Κ.1-13», Προσωρινός Πίνακας Απορριπτέων αιτήσεων μονοκατοικιών και μεμονωμένων διαμερισμάτων Οι πίνακες έχουν αναρτηθεί στην ενότητα Αποτελέσματα Αξιολόγησης της ιστοσελίδας του προγράμματος." View full είδηση
-
- εξοικονομώ 2021
- αίτηση
-
(and 1 more)
Με ετικέτα:
-
Εξοικονομώ 2021: Ανακοίνωση πινάκων οριστικών αποτελεσμάτων αιτήσεων
GTnews posted μια είδηση in Επικαιρότητα
Το Υπουργείο Περιβάλλοντος και Ενέργειας εξέδωσε ανακοίνωση στην ιστοσελίδα του προγράμματος Εξοικονομώ 2021 για την έκδοση οριστικών πινάκων αιτήσεων. Η ανακοίνωση: "Σας ενημερώνουμε ότι, εκδόθηκε η υπό στοιχεία ΥΠΕΝ/ΥΔΕΝ/107703/626/ 09.10.2025 απόφαση του Υπουργού Περιβάλλοντος και Ενέργειας, με την οποία εγκρίνονται: οι υπό στοιχεία «Ο.Π.Ε.-Κ.1-15» και «Ο.Π.Ε.-Κ.2.5-15» Οριστικοί Πίνακες Εγκεκριμένων αιτήσεων Μονοκατοικιών/Μεμονωμένων διαμερισμάτων. ο υπό στοιχεία «ΠΟΛ-Ο.Π.Ε.-12» Οριστικός Πίνακας Εγκεκριμένων αιτήσεων Πολυκατοικιών οι υπό στοιχεία «ΠΠΑ-Κ.1-13», Προσωρινός Πίνακας Απορριπτέων αιτήσεων μονοκατοικιών και μεμονωμένων διαμερισμάτων Οι πίνακες έχουν αναρτηθεί στην ενότητα Αποτελέσματα Αξιολόγησης της ιστοσελίδας του προγράμματος."-
- εξοικονομώ 2021
- αίτηση
-
(and 1 more)
Με ετικέτα:
-
Charlie started following Άδεια για τοποθέτηση iso box για μόνιμη χρήση and Βεβαίωση για στατικά φορτία εκπαιδευτηρίου
- Σήμερα
-
Διευκρίνιση για σοφίτες
dimitris GM replied to Χριστίνα Μ.'s θέμα in ΝΟΚ (Νέος Οικοδομικός Κανονισμός)
εδω για τις σοφιτες https://www.aftodioikisi.gr/nomothesia/nok-mponoys-domisis-ston-pago-kai-oi-sofites/ -
Το Ε΄ Τμήμα του Συμβουλίου της Επικρατείας δημοσίευσε την γνωμοδότησή του επί του σχεδίου Προεδρικού Διατάγματος για την έγκριση του Ειδικού Σχεδίου Περιβαλλοντικού Ισοδυνάμου Αναβάθμισης Πόλεων (ΕΣΠΙΑΠ) για την αντιστάθμιση της χρήσης κινήτρων του ΝΟΚ, το οποίο κρίθηκε συνταγματικό και νόμιμο. Αναλυτικότερα, το σχέδιο ΠΔ είχε κατατεθεί στο Ε΄ Τμήμα του ΣτΕ για νομοπαρασκευαστική επεξεργασία μετά τις αποφάσεις της Ολομέλειας του Ανωτάτου Ακυρωτικού Δικαστηρίου (146-149/2025) και σήμερα δημοσιεύθηκε η υπ΄ αριθμ. 135/2025 γνωμοδότηση (προεδρεύουσα η σύμβουλος Επικρατείας Ρωξάνη Γιαννουλάτου και εισηγητής ο πάρεδρος Ανδρέας Σκούφαλος), με την οποία αίρεται η ασάφεια ως προς τη χρήση κινήτρων του ΝΟΚ. Συγκεκριμένα, η ανακοίνωση του ΣτΕ έχει ως εξής: «Με το 135/2025 πρακτικό επεξεργασίας του Ε΄ Τμήματος του Συμβουλίου της Επικρατείας (Προέδρος: Ρ. Γιαννουλάτου, Σύμβουλος, Εισηγητής: Α. Σκούφαλος. Πάρεδρος) κρίθηκε νόμιμο σχέδιο προεδρικού διατάγματος, το οποίο καταρτίστηκε ύστερα από τις 146-149/2025 αποφάσεις της Ολομελείας του Δικαστηρίου σχετικά με την αντισυνταγματικότητα του συστήματος κινήτρων του ΝΟΚ. Το σχέδιο διατάγματος καταρτίστηκε σύμφωνα με τις διατάξεις του ν. 5197/2025, με το άρθρο 68 του οποίου θεσπίστηκε μηχανισμός περιβαλλοντικού ισοδυνάμου για την αντιμετώπιση της χρήσης κινήτρων και προσαυξήσεων βάσει οικοδομικών αδειών που είχαν εκδοθεί πριν από την έκδοση των παραπάνω ακυρωτικών αποφάσεων του Δικαστηρίου. Πρόκειται, ιδίως, για τις οικοδομικές άδειες που είτε έχουν ακυρωθεί με δικαστική απόφαση είτε είχαν προσβληθεί μέχρι την 11.12.2024, άρα καταλαμβάνονται από την αντισυνταγματικότητα που διέγνωσε το Δικαστήριο και είναι πολύ πιθανό να ακυρωθούν. Ο μηχανισμός περιλαμβάνει Ειδικό Σχέδιο Περιβαλλοντικού Ισοδυνάμου Αναβάθμισης Πόλεων (ΕΣΠΙΑΠ), το οποίο χρηματοδοτείται από ποσά περιβαλλοντικού ισοδυνάμου που καταβάλλουν οι ενδιαφερόμενοι, και επανέκδοση των οικοδομικών αδειών με διαδικασία που διαφοροποιείται ανάλογα με το αν έχει ολοκληρωθεί ή όχι ο φέρων οργανισμός της οικοδομής. Ο μηχανισμός περιλαμβάνει την επιλογή των καταλληλότερων μέτρων περιβαλλοντικού ισοδυνάμου από αυτά που προβλέπει ο ν. 5197/2025 (άρθρο 68 παρ. 2) σε επίπεδο δημοτικής ενότητας ή, για τα μητροπολιτικά συγκροτήματα Αθήνας και Θεσσαλονίκης, δήμου, τούτο δε βάσει περιβαλλοντικού προελέγχου ή, εφόσον συντρέχει περίπτωση, στρατηγικής μελέτης περιβαλλοντικών επιπτώσεων. Το Ε΄ Τμήμα, επαναλαμβάνοντας νομολογία του Ανωτάτου Ειδικού Δικαστηρίου, δέχθηκε ότι, στην περίπτωση εννόμων σχέσεων που έχουν κριθεί αμετακλήτως με δικαστικές αποφάσεις, ο νομοθέτης δεν κωλύεται να ρυθμίσει και πάλι τις σχέσεις αυτές με νέους κανόνες δικαίου, εφόσον αυτοί έχουν γενικό χαρακτήρα και δεν ρυθμίζουν μεμονωμένη σχέση. Κατά συνέπεια, το προπεριγραφόμενο σύστημα, που εισήχθη μετά την έκδοση των παραπάνω ακυρωτικών αποφάσεων του Δικαστηρίου, κρίθηκε ως συμβατό με το Σύνταγμα, διότι η, τυχόν, επανέκδοση των παραπάνω οικοδομικών αδειών θα είναι προϊόν νέου διαφορετικού νομοθετικού καθεστώτος, το οποίο δεν αποσκοπεί στην επίλυση συγκεκριμένης διαφοράς, αλλά στη θέσπιση γενικής και αφηρημένης ρύθμισης με κριτήρια αντικειμενικά (ολοκλήρωση ή μη φέροντος οργανισμού κ.λπ.) και απρόσωπα. Κρίθηκε, όμως, ότι, κατά την έννοια των εξουσιοδοτικών διατάξεων, η, τυχόν, επανέκδοση των παραπάνω οικοδομικών αδειών προϋποθέτει την ολοκλήρωση περιβαλλοντικού προελέγχου του σχεδίου, που εκπονείται, κατά τα προαναφερόμενα, σε τοπικό επίπεδο, ή, εάν χρειάζεται, στρατηγικής μελέτης περιβαλλοντικών επιπτώσεων».
-
Το Ε΄ Τμήμα του Συμβουλίου της Επικρατείας δημοσίευσε την γνωμοδότησή του επί του σχεδίου Προεδρικού Διατάγματος για την έγκριση του Ειδικού Σχεδίου Περιβαλλοντικού Ισοδυνάμου Αναβάθμισης Πόλεων (ΕΣΠΙΑΠ) για την αντιστάθμιση της χρήσης κινήτρων του ΝΟΚ, το οποίο κρίθηκε συνταγματικό και νόμιμο. Αναλυτικότερα, το σχέδιο ΠΔ είχε κατατεθεί στο Ε΄ Τμήμα του ΣτΕ για νομοπαρασκευαστική επεξεργασία μετά τις αποφάσεις της Ολομέλειας του Ανωτάτου Ακυρωτικού Δικαστηρίου (146-149/2025) και σήμερα δημοσιεύθηκε η υπ΄ αριθμ. 135/2025 γνωμοδότηση (προεδρεύουσα η σύμβουλος Επικρατείας Ρωξάνη Γιαννουλάτου και εισηγητής ο πάρεδρος Ανδρέας Σκούφαλος), με την οποία αίρεται η ασάφεια ως προς τη χρήση κινήτρων του ΝΟΚ. Συγκεκριμένα, η ανακοίνωση του ΣτΕ έχει ως εξής: «Με το 135/2025 πρακτικό επεξεργασίας του Ε΄ Τμήματος του Συμβουλίου της Επικρατείας (Προέδρος: Ρ. Γιαννουλάτου, Σύμβουλος, Εισηγητής: Α. Σκούφαλος. Πάρεδρος) κρίθηκε νόμιμο σχέδιο προεδρικού διατάγματος, το οποίο καταρτίστηκε ύστερα από τις 146-149/2025 αποφάσεις της Ολομελείας του Δικαστηρίου σχετικά με την αντισυνταγματικότητα του συστήματος κινήτρων του ΝΟΚ. Το σχέδιο διατάγματος καταρτίστηκε σύμφωνα με τις διατάξεις του ν. 5197/2025, με το άρθρο 68 του οποίου θεσπίστηκε μηχανισμός περιβαλλοντικού ισοδυνάμου για την αντιμετώπιση της χρήσης κινήτρων και προσαυξήσεων βάσει οικοδομικών αδειών που είχαν εκδοθεί πριν από την έκδοση των παραπάνω ακυρωτικών αποφάσεων του Δικαστηρίου. Πρόκειται, ιδίως, για τις οικοδομικές άδειες που είτε έχουν ακυρωθεί με δικαστική απόφαση είτε είχαν προσβληθεί μέχρι την 11.12.2024, άρα καταλαμβάνονται από την αντισυνταγματικότητα που διέγνωσε το Δικαστήριο και είναι πολύ πιθανό να ακυρωθούν. Ο μηχανισμός περιλαμβάνει Ειδικό Σχέδιο Περιβαλλοντικού Ισοδυνάμου Αναβάθμισης Πόλεων (ΕΣΠΙΑΠ), το οποίο χρηματοδοτείται από ποσά περιβαλλοντικού ισοδυνάμου που καταβάλλουν οι ενδιαφερόμενοι, και επανέκδοση των οικοδομικών αδειών με διαδικασία που διαφοροποιείται ανάλογα με το αν έχει ολοκληρωθεί ή όχι ο φέρων οργανισμός της οικοδομής. Ο μηχανισμός περιλαμβάνει την επιλογή των καταλληλότερων μέτρων περιβαλλοντικού ισοδυνάμου από αυτά που προβλέπει ο ν. 5197/2025 (άρθρο 68 παρ. 2) σε επίπεδο δημοτικής ενότητας ή, για τα μητροπολιτικά συγκροτήματα Αθήνας και Θεσσαλονίκης, δήμου, τούτο δε βάσει περιβαλλοντικού προελέγχου ή, εφόσον συντρέχει περίπτωση, στρατηγικής μελέτης περιβαλλοντικών επιπτώσεων. Το Ε΄ Τμήμα, επαναλαμβάνοντας νομολογία του Ανωτάτου Ειδικού Δικαστηρίου, δέχθηκε ότι, στην περίπτωση εννόμων σχέσεων που έχουν κριθεί αμετακλήτως με δικαστικές αποφάσεις, ο νομοθέτης δεν κωλύεται να ρυθμίσει και πάλι τις σχέσεις αυτές με νέους κανόνες δικαίου, εφόσον αυτοί έχουν γενικό χαρακτήρα και δεν ρυθμίζουν μεμονωμένη σχέση. Κατά συνέπεια, το προπεριγραφόμενο σύστημα, που εισήχθη μετά την έκδοση των παραπάνω ακυρωτικών αποφάσεων του Δικαστηρίου, κρίθηκε ως συμβατό με το Σύνταγμα, διότι η, τυχόν, επανέκδοση των παραπάνω οικοδομικών αδειών θα είναι προϊόν νέου διαφορετικού νομοθετικού καθεστώτος, το οποίο δεν αποσκοπεί στην επίλυση συγκεκριμένης διαφοράς, αλλά στη θέσπιση γενικής και αφηρημένης ρύθμισης με κριτήρια αντικειμενικά (ολοκλήρωση ή μη φέροντος οργανισμού κ.λπ.) και απρόσωπα. Κρίθηκε, όμως, ότι, κατά την έννοια των εξουσιοδοτικών διατάξεων, η, τυχόν, επανέκδοση των παραπάνω οικοδομικών αδειών προϋποθέτει την ολοκλήρωση περιβαλλοντικού προελέγχου του σχεδίου, που εκπονείται, κατά τα προαναφερόμενα, σε τοπικό επίπεδο, ή, εάν χρειάζεται, στρατηγικής μελέτης περιβαλλοντικών επιπτώσεων». View full είδηση
-
Καθώς τα ακραία καιρικά φαινόμενα γίνονται όλο και πιο συχνά, οι ερευνητές στρέφονται στην τεχνητή νοημοσύνη σε μια προσπάθεια να κατανοήσουν καλύτερα και να ανταποκριθούν πιο άμεσα στις καταστροφές που προκαλεί η κλιματική αλλαγή. Μετά από έναν σεισμό 7,4 βαθμών τον Απρίλιο του 2024 που λίγο έξω από το Hualien στην Ταϊβάν – τον ισχυρότερο στη χώρα τα τελευταία 25 χρόνια – χιλιάδες κατολισθήσεις κατέστρεψαν απομακρυσμένες ορεινές κοινότητες. Για να εκτιμήσουν τις ζημιές, οι ομάδες έκτακτης ανάγκης βασίζονται συχνά σε δορυφορικές εικόνες προκειμένου να εντοπίσουν τις πληγείσες περιοχές. Αλλά η χειροκίνητη σάρωση αυτών των εικόνων μπορεί να διαρκέσει ώρες ή και ημέρες. Σύμφωνα με ρεπορτάζ της Έρης Δρίβα στο economix.gr, γεωεπιστήμονες του Πανεπιστημίου του Κέιμπριτζ πιστεύουν ότι έχουν ένα εργαλείο που μπορεί να κάνει τη διαφορά. Εκπαιδεύουν την τεχνητή νοημοσύνη να ανιχνεύει κατολισθήσεις και να βοηθά τις ομάδες διάσωσης να ενεργούν ταχύτερα. «Μετά από μια καταστροφή, ο χρόνος έχει πραγματικά σημασία», δήλωσε σύμφωνα με το Euronews, ο Λορέντζο Νάβα, ερευνητής στα τμήματα γεωεπιστημών και γεωγραφίας του πανεπιστημίου. Ένας ταχύτερος τρόπος για να δούμε τι συμβαίνει στο έδαφος Η ομάδα εργάζεται για τη δημιουργία μοντέλων τεχνητής νοημοσύνης που μπορούν να εντοπίζουν αυτόματα τις κατολισθήσεις σε δορυφορικές εικόνες, ακόμη και όταν υπάρχει νεφοκάλυψη ή σκοτάδι. Η προσπάθεια αποτελεί μέρος της CoMHaz, μιας ερευνητικής ομάδας του Cambridge που επικεντρώνεται σε αλυσιδωτές καταστροφές, όπου ένα συμβάν πυροδοτεί ένα άλλο ή συμβαίνουν πολλά συμβάντα ταυτόχρονα. Συνδυάζοντας τυπικές οπτικές εικόνες με δεδομένα ραντάρ, τα οποία μπορούν να διαπεράσουν τα σύννεφα και να λειτουργήσουν τη νύχτα, οι ερευνητές ελπίζουν να κάνουν τα μοντέλα ανίχνευσής τους ταχύτερα και πιο αξιόπιστα σε καταστάσεις κρίσης. Μετά τον σεισμό της Χουαλιέν, το σύστημα κατέγραψε πάνω από 7.000 κατολισθήσεις μέσα σε μόλις τρεις ώρες από τη λήψη δορυφορικών εικόνων, σύμφωνα με πρόσφατη μελέτη που δημοσίευσαν στο Natural Hazards and Earth System Sciences. Η ίδια διαδικασία θα είχε διαρκέσει πολύ περισσότερο αν γινόταν χειροκίνητα. Η ομάδα ελπίζει ότι αυτή η τεχνολογία θα βοηθήσει τα συνεργεία διάσωσης να δώσουν προτεραιότητα σε περιοχές που έχουν επείγουσα ανάγκη βοήθειας, ειδικά σε απομακρυσμένες ή ορεινές περιοχές όπου ο χρόνος είναι κρίσιμος. Μάλιστα, εκτιμούν ότι, σταδιακά, θα μπορούσε να προβλέπει τις κατολισθήσεις πριν συμβούν. Γιατί η Τεχνητή Νοημοσύνη έχει σημασία Η Ευρώπη έχει αντιμετωπίσει, τον τελευταίο χρόνο, διαδοχικές καταστροφές που οφείλονται στην κλιματική αλλαγή. Στην Ελβετία, η κατάρρευση παγετώνα τον Μάιο προκάλεσε θανατηφόρα κατολίσθηση που ισοπέδωσε ένα μικρό αλπικό χωριό. Πριν από αυτό, ξαφνικές πλημμύρες στη Βαλένθια κόστισαν ανθρώπινες ζωές, αφού οι πρωτοφανείς βροχοπτώσεις πλημμύρισαν υποδομές της πόλης. Και σε όλη τη Νότια Ευρώπη, καύσωνες, πυρκαγιές και πλημμύρες «χτυπούν» με αυξανόμενη ένταση. Οι επιστήμονες πιστεύουν ότι η κλιματική αλλαγή δεν τροφοδοτεί μόνο τη σοβαρότητα αυτών των γεγονότων – αλλά αποκαλύπτει επίσης αδυναμίες στα συστήματα αντιμετώπισης καταστροφών. Οι κατολισθήσεις, για παράδειγμα, επιδεινώνονται από τις έντονες βροχοπτώσεις, την αποψίλωση των δασών και την άνοδο των θερμοκρασιών που καθιστούν τις πλαγιές πιο ασταθείς. Η Τεχνητή Νοημοσύνη μπορεί να μην είναι πανάκεια, αλλά θα μπορούσε να προσφέρει την απαραίτητη υποστήριξη. Εργαλεία όπως αυτά που αναπτύχθηκαν από την ομάδα του Cambridge έχουν σχεδιαστεί για να ιεραρχούν τους πόρους, να εντοπίζουν ταχύτερα τις περιοχές που έχουν πληγεί σοβαρά και, σε ορισμένες περιπτώσεις, να υποστηρίζουν τις έγκαιρες προειδοποιήσεις. Οι επικεφαλής της ομάδας CoMHaz συνεργάζονται με τοπικούς επιστήμονες στο Νεπάλ για να εφαρμόσουν πιλοτικά ένα σύστημα έγκαιρης προειδοποίησης που υποστηρίζεται από Τεχνητή Νοημοσύνη στο Butwal, μια πόλη ευάλωτη σε κατολισθήσεις. Για να βελτιώσει το σύστημά της, η ομάδα του Κέιμπριτζ ένωσε τις δυνάμεις της με τον Ευρωπαϊκό Οργανισμό Διαστήματος, τον Παγκόσμιο Μετεωρολογικό Οργανισμό και άλλους εταίρους. View full είδηση
-
- καιρικά φαινόμενα
- καταστροφές
-
(and 3 more)
Με ετικέτα:
-
Καθώς τα ακραία καιρικά φαινόμενα γίνονται όλο και πιο συχνά, οι ερευνητές στρέφονται στην τεχνητή νοημοσύνη σε μια προσπάθεια να κατανοήσουν καλύτερα και να ανταποκριθούν πιο άμεσα στις καταστροφές που προκαλεί η κλιματική αλλαγή. Μετά από έναν σεισμό 7,4 βαθμών τον Απρίλιο του 2024 που λίγο έξω από το Hualien στην Ταϊβάν – τον ισχυρότερο στη χώρα τα τελευταία 25 χρόνια – χιλιάδες κατολισθήσεις κατέστρεψαν απομακρυσμένες ορεινές κοινότητες. Για να εκτιμήσουν τις ζημιές, οι ομάδες έκτακτης ανάγκης βασίζονται συχνά σε δορυφορικές εικόνες προκειμένου να εντοπίσουν τις πληγείσες περιοχές. Αλλά η χειροκίνητη σάρωση αυτών των εικόνων μπορεί να διαρκέσει ώρες ή και ημέρες. Σύμφωνα με ρεπορτάζ της Έρης Δρίβα στο economix.gr, γεωεπιστήμονες του Πανεπιστημίου του Κέιμπριτζ πιστεύουν ότι έχουν ένα εργαλείο που μπορεί να κάνει τη διαφορά. Εκπαιδεύουν την τεχνητή νοημοσύνη να ανιχνεύει κατολισθήσεις και να βοηθά τις ομάδες διάσωσης να ενεργούν ταχύτερα. «Μετά από μια καταστροφή, ο χρόνος έχει πραγματικά σημασία», δήλωσε σύμφωνα με το Euronews, ο Λορέντζο Νάβα, ερευνητής στα τμήματα γεωεπιστημών και γεωγραφίας του πανεπιστημίου. Ένας ταχύτερος τρόπος για να δούμε τι συμβαίνει στο έδαφος Η ομάδα εργάζεται για τη δημιουργία μοντέλων τεχνητής νοημοσύνης που μπορούν να εντοπίζουν αυτόματα τις κατολισθήσεις σε δορυφορικές εικόνες, ακόμη και όταν υπάρχει νεφοκάλυψη ή σκοτάδι. Η προσπάθεια αποτελεί μέρος της CoMHaz, μιας ερευνητικής ομάδας του Cambridge που επικεντρώνεται σε αλυσιδωτές καταστροφές, όπου ένα συμβάν πυροδοτεί ένα άλλο ή συμβαίνουν πολλά συμβάντα ταυτόχρονα. Συνδυάζοντας τυπικές οπτικές εικόνες με δεδομένα ραντάρ, τα οποία μπορούν να διαπεράσουν τα σύννεφα και να λειτουργήσουν τη νύχτα, οι ερευνητές ελπίζουν να κάνουν τα μοντέλα ανίχνευσής τους ταχύτερα και πιο αξιόπιστα σε καταστάσεις κρίσης. Μετά τον σεισμό της Χουαλιέν, το σύστημα κατέγραψε πάνω από 7.000 κατολισθήσεις μέσα σε μόλις τρεις ώρες από τη λήψη δορυφορικών εικόνων, σύμφωνα με πρόσφατη μελέτη που δημοσίευσαν στο Natural Hazards and Earth System Sciences. Η ίδια διαδικασία θα είχε διαρκέσει πολύ περισσότερο αν γινόταν χειροκίνητα. Η ομάδα ελπίζει ότι αυτή η τεχνολογία θα βοηθήσει τα συνεργεία διάσωσης να δώσουν προτεραιότητα σε περιοχές που έχουν επείγουσα ανάγκη βοήθειας, ειδικά σε απομακρυσμένες ή ορεινές περιοχές όπου ο χρόνος είναι κρίσιμος. Μάλιστα, εκτιμούν ότι, σταδιακά, θα μπορούσε να προβλέπει τις κατολισθήσεις πριν συμβούν. Γιατί η Τεχνητή Νοημοσύνη έχει σημασία Η Ευρώπη έχει αντιμετωπίσει, τον τελευταίο χρόνο, διαδοχικές καταστροφές που οφείλονται στην κλιματική αλλαγή. Στην Ελβετία, η κατάρρευση παγετώνα τον Μάιο προκάλεσε θανατηφόρα κατολίσθηση που ισοπέδωσε ένα μικρό αλπικό χωριό. Πριν από αυτό, ξαφνικές πλημμύρες στη Βαλένθια κόστισαν ανθρώπινες ζωές, αφού οι πρωτοφανείς βροχοπτώσεις πλημμύρισαν υποδομές της πόλης. Και σε όλη τη Νότια Ευρώπη, καύσωνες, πυρκαγιές και πλημμύρες «χτυπούν» με αυξανόμενη ένταση. Οι επιστήμονες πιστεύουν ότι η κλιματική αλλαγή δεν τροφοδοτεί μόνο τη σοβαρότητα αυτών των γεγονότων – αλλά αποκαλύπτει επίσης αδυναμίες στα συστήματα αντιμετώπισης καταστροφών. Οι κατολισθήσεις, για παράδειγμα, επιδεινώνονται από τις έντονες βροχοπτώσεις, την αποψίλωση των δασών και την άνοδο των θερμοκρασιών που καθιστούν τις πλαγιές πιο ασταθείς. Η Τεχνητή Νοημοσύνη μπορεί να μην είναι πανάκεια, αλλά θα μπορούσε να προσφέρει την απαραίτητη υποστήριξη. Εργαλεία όπως αυτά που αναπτύχθηκαν από την ομάδα του Cambridge έχουν σχεδιαστεί για να ιεραρχούν τους πόρους, να εντοπίζουν ταχύτερα τις περιοχές που έχουν πληγεί σοβαρά και, σε ορισμένες περιπτώσεις, να υποστηρίζουν τις έγκαιρες προειδοποιήσεις. Οι επικεφαλής της ομάδας CoMHaz συνεργάζονται με τοπικούς επιστήμονες στο Νεπάλ για να εφαρμόσουν πιλοτικά ένα σύστημα έγκαιρης προειδοποίησης που υποστηρίζεται από Τεχνητή Νοημοσύνη στο Butwal, μια πόλη ευάλωτη σε κατολισθήσεις. Για να βελτιώσει το σύστημά της, η ομάδα του Κέιμπριτζ ένωσε τις δυνάμεις της με τον Ευρωπαϊκό Οργανισμό Διαστήματος, τον Παγκόσμιο Μετεωρολογικό Οργανισμό και άλλους εταίρους.
-
- καιρικά φαινόμενα
- καταστροφές
-
(and 3 more)
Με ετικέτα:
-
Καλημέρα, και συγνώμη αν το γράφω σε λάθος πεδίο, παρακαλώ ενημερώστε με πού θα έπρεπε να το γράψω αν είναι έτσι... θέλω να εκδώσω μία βεβαίωση μηχανικού με το αρθρο 30 για κατασκευή μιας ράμπας για αμεα, τι δικαιολογητικά χρειάζεται για αυτό? χρειάζεται και κάποια δήλωση αναθεσης απο τον ιδιοκτήτη? ευχαριστώ.. Μην ανοίγεις χωρίς ουσιαστικό λόγο νέο θέμα και χωρίς πρώτα να κάνεις αναζήτηση σε ήδη υπάρχον, με ίδιο ή παραπλήσιο περιεχόμενο. Το θέμα σου συγχωνεύτηκε στο παρόν. Διάβασε προσεκτικά τους κανόνες συμμετοχής στο φόρουμ. Pavlos33
-
το να ελέγχεται φωτισμός με διακοπή ουδετέρου είναι αντικανονικό και επικίνδυνο γιαυτό δεν εφαρμοζόταν ούτε στην εποχή των διακοπτών υδραργύρου με τρία καλώδια. Μήπως απλά η σύνδεση είναι λάθος, οπότε ο νέος πρέπει να συνδεθεί σωστά;
-
To μόνο που μπορούμε να πούμε, μετά τις δύο νέες αποφάσεις του ΣτΕ, την μία που χτύπησε την ανόητη κεφάλα των δημάρχων, που το έπαιζαν μικροί Καίσαρες και Βαρώνοι και την άλλη που ξαναφέρνει από την πίσω πόρτα τα μπόνους, ότι το γεγονός ότι η προσφυγή κάποιων μεγαλοκατασκευαστών στο ΕΔΑΔ, έγινε παραδεκτή, δηλαδή δεν απορρίφθηκε εξ αρχής όπως γίνεται για τις περισσότερες και μπήκε για συζήτηση, έχει φοβίσει τους εδώ εκπροσώπους του κράτους των δικαστών, ότι αν δεν σοβαρευτούν θα πέσουν πολλές αποζημιώσεις στα κεφάλια τους.
-
αν αντιστρεψεις την εισοδο δηλαδη στο L βαλεις τοΝ και στο Ν το L δεν θα δουλεψει?
- Χθες
-
Πάλι δεν δίνεις όλες τις πληροφορίες. Έχεις οικισμό οριοθετημένο; στάσιμο; Η διαδικασία πράξης χαρακτηρισμού (αυτή που παλιά κάναμε με κατάθεση τοπογραφικών και μετά με 2 δημοσιεύσεις σε εφημερίδα της πράξης χαρακτηρισμού) πλέον αφορά περιοχές εκτός δασικής ανάρτησης. Για ποιο σκοπό ζητήθηκε η πράξη χαρακτηρισμού;
-
Σε εκτός σχεδίου οικόπεδο 12.376 τμ στο οποίο ανεγέρθηκαν 3 κτίρια επαγγελματικών χώρων προς βιοτεχνική χρήση έχω μια οριζόντια ιδιοκτησία 156 τμ και ο πελάτης μου θέλει να αλλάξω τη χρήση σε γραφεία. Μπορώ να το τακτοποιήσω ως λοιπή με αναλυτικό γιατί έχει Ε<600 και είναι απο κύρια σε κύρια χρήση ;
-
Έκδοση Βεβαιώσεων Δασικών Υπηρεσιών μέσω συστήματος «e-Άδειες»
Skrats replied to Skrats's θέμα in Τοπογραφικά-Χωροταξικά
Σε οικόπεδο εντός οικισμού υπάρχει κτίσμα προ 55 και προσθήκη κατ' επέκταση η οποία δεν έχει ρυθμιστεί με τον Ν. 4495/17. Είναι δυνατή η αίτηση για πράξη χαρακτηρισμού του άρθρου 14, Ν.998/79 μέσω του e-adeies? -
Ρευμα, επαγγελματικη παροχη σε φυσικό προσωπο
stelios82ole replied to stelios82ole's θέμα in Θέματα Ιδιωτών
Ευχαριστω πολύ, νόμιμος χώρος, πάντα είχε χρήση γραφείου. Μου λένε απο τους παροχους, οτι εφοσον η παροχη είναι χαρακτηρισμενη ως επαγγελματικη, υποχρεωτικά ο χρήστης πρεπει να εχει ΚΑΔ, δεν μπορεί ο χρήστης να είναι κάποιος που δεν έχει επαγγελματικη δραστηριότητα. Για αυτό και ζητανε ΚΑΔ. Τους λέω ότι είναι παράλογο, αλλά επιμένουν. Ευχαριστώ -
Ρευμα, επαγγελματικη παροχη σε φυσικό προσωπο
Pavlos33 replied to stelios82ole's θέμα in Θέματα Ιδιωτών
Δεν αντιλαμβάνομαι τη σύνδεση του ΚΑΔ κάποιας δραστηριότητας με την νομιμοτητα της παροχής ρεύματος. Εφόσον ο χώρος είναι νόμιμος και υποθέτω ότι ήταν νόμιμος με νόμιμη χρήση και πήρε ρεύμα, γιατί να μην ξαναπάρει ρεύμα; Άλλο πράγμα ο ΚΑΔ (αφορά την εφορία), άλλο πράγμα η ΥΔΕ (αφορά τις προδιαγραφές της παροχής), άλλο πράγμα η νομιμότητα (αφορά το δικαίωμα σύνδεσης με τη ΔΕΗ). Πάρε την οικοδομική σου άδεια, τυχόν τακτοποιήσεις (αν έχουν γίνει) , αρχική βεβαίωση για σύνδεση με τα δίκτυα και πήγαινε αυτοπροσώπως στον πάροχο να καταθέσεις αίτημα. -
Έκδοση Βεβαιώσεων Δασικών Υπηρεσιών μέσω συστήματος «e-Άδειες»
Skrats replied to Skrats's θέμα in Τοπογραφικά-Χωροταξικά
Γνωρίζει κάποιος έαν σε οικόπεδο υπάρχει κτίσμα με αυθαιρεσίες μπορεί να αιτηθεί ο ιδιοκτήτης αίτηση για πράξη χαρακτηρισμού του άρθρου 14, Ν.998/79;