Όλη η δραστηριότητα
Αυτή η ροή ανανεώνεται αυτόματα
- Past hour
-
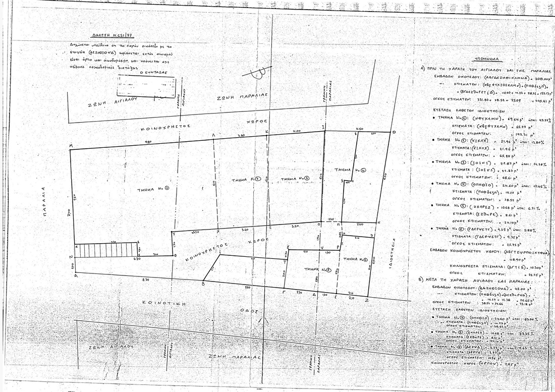
Συνάλεφοι χαίρετε. Πρόκειται περί οικοπέδου εντός ορίων παραλιακού οικισμού (<2000 κατοίκων) σε περιοχή Λειτουργούντος Κτηματολογίου και με πρόσωπο στον Αιγιαλό. Το 1985 (ΦΕΚ 542/Δ/1985) καθορίζεται ο Αιγιαλός και η Ζώνη Παραλίας. Σημειωθήτω, τμήμα του οικοπέδου με μέρος κτισμάτων, τέμνει τον καθορισμένο Αιγιαλό. Ο παλαιότερος τίτλος που έχω στην κατοχή μου είναι του 1988 όπου περιγράφει το ακίνητο ως: « ΠΡΙΝ την χάραξη του αιγιαλού επιφάνειας 181 τ.μ. και ΜΕΤΑ την χάραξη αιγιαλού και ζώνης παραλίας το εμβαδόν που απομένει είναι 42,40 τ.μ.». Αυτά τα 42,40 τ.μ. στο συμβόλαιο προκύπτουν από το εναπομείναν οικόπεδο αφαιρώντας ΚΑΙ την Ζώνη Παραλίας. Το 1998 γίνεται μια Αποδοχή Κληρονομιάς, όπου στο τοπογραφικό της (συνημμένο), φαίνεται να έχει γίνει Σύσταση Καθέτων και επαναλαμβάνεται το ίδιο σκεπτικό ότι το οικόπεδο θα είναι 42,40 τ.μ. μετά τη χάραξη Αιγιαλού και Παραλίας. Θα ήθελα να ρωτήσω τα εξής: 1. Τι 651 δίνω; 2. Τι ισχύει με εκείνες τις κάθετες; Έχω μια εντύπωση ότι είναι συστημένες ΜΕΤΑ την χάραξη Αιγιαλού 3. Το περίγραμμα του Κτηματολογίου είναι ορθό, σε σχέση με την αποτύπωσή μου, απλώς προφανώς και σωστά, το περίγραμμα του Κτηματολογίου δείχνει το οικόπεδο, έχοντας αφαιρέσει από αυτό, το τμήμα που ανήκει στον Αιγιαλό. Εγώ τι περίγραμμα δείχνω; Το ίδιο; Ή ό,τι απομένει αφαιρώντας και την ζώνη παραλίας; Σας ευχαριστώ εκ των προτέρων. Συνημμένα: α. Παλαιό Τοπογραφικό β. Πρόσφατη αποτύπωση.
- Σήμερα
-
το παθητική η κάθε μία στάθμη τις δικές οδεύσεις διαφυγής..... και αφού η κάθε μία έχει δική της έξοδο προς ακάλυπτο είσαι οκ... Για ενεργητική περιμένεις τους ειδικούς να γράψουν (Μηχανολόγοι)
-
Και τα δύο. Αν και εγώ ασχολούμαι με την παθητική.
-
Οι βραχυχρόνιες μισθώσεις εξακολουθούν να αποτελούν βασικό πυλώνα του ελληνικού τουριστικού μοντέλου. Το 2026, ωστόσο, η ελληνική κυβέρνηση προχωρά στη διατήρηση και εξειδίκευση στοχευμένων ρυθμίσεων σε συγκεκριμένες αστικές περιοχές, όπου η συγκέντρωση καταλυμάτων βραχυχρόνιας μίσθωσης έχει προκαλέσει έντονη πίεση στην αγορά κατοικίας. Σύμφωνα με την εταιρεία Elxis – At Home in Greece σημαντικό είναι να διευκρινιστεί εξαρχής ότι τα μέτρα δεν εφαρμόζονται σε πανελλαδικό επίπεδο. Η συντριπτική πλειονότητα της χώρας — συμπεριλαμβανομένων των περισσότερων νησιών, παραθαλάσσιων περιοχών, προαστίων και μικρότερων πόλεων — παραμένει εκτός ρυθμιστικών περιορισμών. Οπως δείχνουν πρόσφατα στοιχεία της Eurostat, καταγράφηκε σημαντική αύξηση των βραχυχρόνιων μισθώσεων στην Ελλάδα, ενισχύοντας περαιτέρω το ενδιαφέρον επενδυτών και ιδιωτών ιδιοκτητών. Τι αλλάζει το 2026 Περιορισμοί νέων εγγραφών Airbnb σε επιλεγμένες αστικές ζώνες Σε περιορισμένο αριθμό περιοχών υψηλής πυκνότητας στην Αθήνα και τη Θεσσαλονίκη, έχει τεθεί σε ισχύ αναστολή νέων εγγραφών στο Μητρώο Ακινήτων Βραχυχρόνιας Διαμονής (ΑΜΑ). Στις συγκεκριμένες ζώνες ισχύουν τα εξής: Η εγγραφή Airbnb συνδέεται με τον υφιστάμενο ιδιοκτήτη και όχι μόνιμα με το ακίνητο Σε περίπτωση μεταβίβασης (πώληση, γονική παροχή ή κληρονομιά), η υπάρχουσα εγγραφή διαγράφεται Ο νέος ιδιοκτήτης μπορεί να χρησιμοποιήσει το ακίνητο για μακροχρόνια μίσθωση ή ιδιοκατοίκηση, όχι όμως να λάβει νέα άδεια βραχυχρόνιας μίσθωσης στις συγκεκριμένες ζώνες Τα μέτρα αφορούν αποκλειστικά περιοχές όπου η στεγαστική πίεση θεωρείται ιδιαίτερα έντονη. Πού εφαρμόζονται οι περιορισμοί Αθήνα – Επιλεγμένα τμήματα του κέντρου Οι περιορισμοί συνεχίζουν να ισχύουν σε τμήματα του κεντρικού ιστού της πρωτεύουσας, κυρίως σε γειτονιές με υψηλή τουριστική ζήτηση. Συγκεκριμένα περιλαμβάνονται επιλεγμένες περιοχές: 1η Δημοτική Κοινότητα: ιστορικό και εμπορικό κέντρο (Πλάκα, Μοναστηράκι, Σύνταγμα, Ομόνοια), Κολωνάκι, Εξάρχεια, Ιλίσια, Νεάπολη, Κουκάκι 2η Δημοτική Κοινότητα: Μετς, Νέος Κόσμος, Άγιος Αρτέμιος, Παγκράτι 3η Δημοτική Κοινότητα: Πετράλωνα, Θησείο, Γκάζι, Βοτανικός, Μεταξουργείο, Ρουφ Αξίζει να σημειωθεί ότι ακόμη και εντός του Δήμου Αθηναίων, πολλές περιοχές παραμένουν πλήρως ανοικτές στη βραχυχρόνια μίσθωση. Θεσσαλονίκη – Ιστορικό και εμπορικό κέντρο Από τον Μάρτιο του 2026, αντίστοιχα μέτρα εφαρμόζονται στο ιστορικό και εμπορικό κέντρο της 1ης Δημοτικής Κοινότητας Θεσσαλονίκης, με αρχική διάρκεια ενός έτους και δυνατότητα παράτασης. Η ζώνη περιλαμβάνει, μεταξύ άλλων, την πλατεία Αριστοτέλους, τους άξονες Εγνατίας και Τσιμισκή, τα Λαδάδικα, την περιοχή του λιμανιού, τη Ροτόντα, την Καμάρα, τμήματα της Άνω Πόλης και το παραλιακό μέτωπο έως τον Λευκό Πύργο. Και εδώ, οι περιορισμοί αφορούν μικρό και σαφώς οριοθετημένο τμήμα της πόλης. Έτος αξιολόγησης, όχι μόνιμη απαγόρευση Το 2026 χαρακτηρίζεται από τις αρχές ως έτος αξιολόγησης. Η κυβέρνηση παρακολουθεί την επίδραση των μέτρων στη διαθεσιμότητα κατοικιών και στις τιμές ενοικίασης στις συγκεκριμένες περιοχές. Οποιαδήποτε μελλοντική προσαρμογή αναμένεται να παραμείνει γεωγραφικά στοχευμένη και να βασίζεται σε δεδομένα, χωρίς πρόθεση γενικευμένων ή οριζόντιων απαγορεύσεων. Τι παραμένει αμετάβλητο Εκτός των συγκεκριμένων αστικών ζωνών: Οι βραχυχρόνιες μισθώσεις συνεχίζουν να λειτουργούν με το ισχύον εθνικό πλαίσιο Οι νέες εγγραφές ΑΜΑ παραμένουν δυνατές Νησιά, παραθαλάσσιες περιοχές, τουριστικά θέρετρα και προάστια δεν επηρεάζονται Παρακολούθηση σε δημοφιλείς τουριστικούς προορισμούς Τον τελευταίο καιρό, αυξημένη προσοχή καταγράφεται σε περιοχές όπως Πάρος, Σαντορίνη, Χανιά και τμήματα της Χαλκιδικής, λόγω έντονης εποχικής ζήτησης και πίεσης στην τοπική στεγαστική αγορά. Ωστόσο, δεν υφίσταται γενικευμένη απαγόρευση: Οι υφιστάμενες βραχυχρόνιες μισθώσεις συνεχίζουν κανονικά Οι νέες εγγραφές παραμένουν δυνατές, με τήρηση των κανόνων της ΑΑΔΕ και του Υπουργείου Τουρισμού Τυχόν μελλοντικά μέτρα αναμένεται να είναι τοπικά και στοχευμένα, όχι οριζόντια View full είδηση
-
Τι αλλάζει στις βραχυχρόνιες μισθώσεις στην Ελλάδα το 2026
Engineer posted μια είδηση in Επικαιρότητα
Οι βραχυχρόνιες μισθώσεις εξακολουθούν να αποτελούν βασικό πυλώνα του ελληνικού τουριστικού μοντέλου. Το 2026, ωστόσο, η ελληνική κυβέρνηση προχωρά στη διατήρηση και εξειδίκευση στοχευμένων ρυθμίσεων σε συγκεκριμένες αστικές περιοχές, όπου η συγκέντρωση καταλυμάτων βραχυχρόνιας μίσθωσης έχει προκαλέσει έντονη πίεση στην αγορά κατοικίας. Σύμφωνα με την εταιρεία Elxis – At Home in Greece σημαντικό είναι να διευκρινιστεί εξαρχής ότι τα μέτρα δεν εφαρμόζονται σε πανελλαδικό επίπεδο. Η συντριπτική πλειονότητα της χώρας — συμπεριλαμβανομένων των περισσότερων νησιών, παραθαλάσσιων περιοχών, προαστίων και μικρότερων πόλεων — παραμένει εκτός ρυθμιστικών περιορισμών. Οπως δείχνουν πρόσφατα στοιχεία της Eurostat, καταγράφηκε σημαντική αύξηση των βραχυχρόνιων μισθώσεων στην Ελλάδα, ενισχύοντας περαιτέρω το ενδιαφέρον επενδυτών και ιδιωτών ιδιοκτητών. Τι αλλάζει το 2026 Περιορισμοί νέων εγγραφών Airbnb σε επιλεγμένες αστικές ζώνες Σε περιορισμένο αριθμό περιοχών υψηλής πυκνότητας στην Αθήνα και τη Θεσσαλονίκη, έχει τεθεί σε ισχύ αναστολή νέων εγγραφών στο Μητρώο Ακινήτων Βραχυχρόνιας Διαμονής (ΑΜΑ). Στις συγκεκριμένες ζώνες ισχύουν τα εξής: Η εγγραφή Airbnb συνδέεται με τον υφιστάμενο ιδιοκτήτη και όχι μόνιμα με το ακίνητο Σε περίπτωση μεταβίβασης (πώληση, γονική παροχή ή κληρονομιά), η υπάρχουσα εγγραφή διαγράφεται Ο νέος ιδιοκτήτης μπορεί να χρησιμοποιήσει το ακίνητο για μακροχρόνια μίσθωση ή ιδιοκατοίκηση, όχι όμως να λάβει νέα άδεια βραχυχρόνιας μίσθωσης στις συγκεκριμένες ζώνες Τα μέτρα αφορούν αποκλειστικά περιοχές όπου η στεγαστική πίεση θεωρείται ιδιαίτερα έντονη. Πού εφαρμόζονται οι περιορισμοί Αθήνα – Επιλεγμένα τμήματα του κέντρου Οι περιορισμοί συνεχίζουν να ισχύουν σε τμήματα του κεντρικού ιστού της πρωτεύουσας, κυρίως σε γειτονιές με υψηλή τουριστική ζήτηση. Συγκεκριμένα περιλαμβάνονται επιλεγμένες περιοχές: 1η Δημοτική Κοινότητα: ιστορικό και εμπορικό κέντρο (Πλάκα, Μοναστηράκι, Σύνταγμα, Ομόνοια), Κολωνάκι, Εξάρχεια, Ιλίσια, Νεάπολη, Κουκάκι 2η Δημοτική Κοινότητα: Μετς, Νέος Κόσμος, Άγιος Αρτέμιος, Παγκράτι 3η Δημοτική Κοινότητα: Πετράλωνα, Θησείο, Γκάζι, Βοτανικός, Μεταξουργείο, Ρουφ Αξίζει να σημειωθεί ότι ακόμη και εντός του Δήμου Αθηναίων, πολλές περιοχές παραμένουν πλήρως ανοικτές στη βραχυχρόνια μίσθωση. Θεσσαλονίκη – Ιστορικό και εμπορικό κέντρο Από τον Μάρτιο του 2026, αντίστοιχα μέτρα εφαρμόζονται στο ιστορικό και εμπορικό κέντρο της 1ης Δημοτικής Κοινότητας Θεσσαλονίκης, με αρχική διάρκεια ενός έτους και δυνατότητα παράτασης. Η ζώνη περιλαμβάνει, μεταξύ άλλων, την πλατεία Αριστοτέλους, τους άξονες Εγνατίας και Τσιμισκή, τα Λαδάδικα, την περιοχή του λιμανιού, τη Ροτόντα, την Καμάρα, τμήματα της Άνω Πόλης και το παραλιακό μέτωπο έως τον Λευκό Πύργο. Και εδώ, οι περιορισμοί αφορούν μικρό και σαφώς οριοθετημένο τμήμα της πόλης. Έτος αξιολόγησης, όχι μόνιμη απαγόρευση Το 2026 χαρακτηρίζεται από τις αρχές ως έτος αξιολόγησης. Η κυβέρνηση παρακολουθεί την επίδραση των μέτρων στη διαθεσιμότητα κατοικιών και στις τιμές ενοικίασης στις συγκεκριμένες περιοχές. Οποιαδήποτε μελλοντική προσαρμογή αναμένεται να παραμείνει γεωγραφικά στοχευμένη και να βασίζεται σε δεδομένα, χωρίς πρόθεση γενικευμένων ή οριζόντιων απαγορεύσεων. Τι παραμένει αμετάβλητο Εκτός των συγκεκριμένων αστικών ζωνών: Οι βραχυχρόνιες μισθώσεις συνεχίζουν να λειτουργούν με το ισχύον εθνικό πλαίσιο Οι νέες εγγραφές ΑΜΑ παραμένουν δυνατές Νησιά, παραθαλάσσιες περιοχές, τουριστικά θέρετρα και προάστια δεν επηρεάζονται Παρακολούθηση σε δημοφιλείς τουριστικούς προορισμούς Τον τελευταίο καιρό, αυξημένη προσοχή καταγράφεται σε περιοχές όπως Πάρος, Σαντορίνη, Χανιά και τμήματα της Χαλκιδικής, λόγω έντονης εποχικής ζήτησης και πίεσης στην τοπική στεγαστική αγορά. Ωστόσο, δεν υφίσταται γενικευμένη απαγόρευση: Οι υφιστάμενες βραχυχρόνιες μισθώσεις συνεχίζουν κανονικά Οι νέες εγγραφές παραμένουν δυνατές, με τήρηση των κανόνων της ΑΑΔΕ και του Υπουργείου Τουρισμού Τυχόν μελλοντικά μέτρα αναμένεται να είναι τοπικά και στοχευμένα, όχι οριζόντια -
Έχει ειπωθεί πολλές φορές ότι η κατάτμηση αποτελεί ίσως μια από τις πιο σοβαρές πολεοδομικές παραβάσεις γι΄ αυτό και στους δυο τελευταίους νόμους απαιτείται η καταχώρηση ως μη έχον οικοδομική άδεια. Ιστορικά, θυμηθείτε πως αντιμετώπιζαν οι Πολεοδομίες, κατατμήσεις χωρίς άδεια. Μια Ο.Α εκδίδεται για την κατασκευή κτιρίου σε συγκεκριμένο-ορισμένο οικόπεδο, με συγκεκριμένη θέση, έκταση και όρια. Το κτίριο αδειοδοτείται γι΄αυτό το συγκεκριμένο οικόπεδο. Όταν συντελεστεί κατάτμηση, το οικόπεδο που θα βρεθεί το κτίριο δεν έχει καμία σχέση με το αρχικό και γι αυτό η άδεια δεν θα ισχύει, διότι η άδεια εκδόθηκε για άλλο (ουσιαστικά) οικόπεδο, από αυτό που-μετά την κατάτμηση-βρέθηκε το κτίριο. Για την υπαγωγή, δεν ενδιαφέρει αν το νέο οικόπεδο που βρέθηκε το κτίριο, πληροί τα πολεοδομικά μεγέθη ώστε να "καλύψει" τα πραγματοποιηθέντα του κτιρίου. Ενδιαφέρει όμως στην περίπτωση (και αυτό είναι που συμφέρει) νομιμοποίησης του κτιρίου λόγω διαφορετικού διαγράμματος κάλυψης και διαφορετικού τοπογραφικού από αυτά της αρχικής άδειας. ΄Έτσι λοιπόν, από τη στιγμή που η υφιστάμενη-λόγω κατάτμησης-κατάσταση, δεν φαίνεται σε καμία άδεια (ενημέρωση, αναθεώρηση κλπ) η υπαγωγή το "τιμωρεί" με δυσβάσταχτο πρόστιμο και γι αυτό λέμε ότι σε περιπτώσεις που μπορεί να γίνει νομιμοποίηση (με πληρωμή παραβόλου) δεν συμφέρει η υπαγωγή, η οποία (υπαγωγή) αποτελεί-αν θέλετε-και την πιο άμεση-επείγουσα, αλλά κοστοβόρα, πολεοδομική διόρθωση.
-
Το 1ο φαίνεται να σκιάζει πιο πολύ αλλά μόνο αν κάνεις την θεώρηση ότι νοητά βρίσκει κάθετα την όψη. Κάνε ένα σενάριο με αυτό και ένα με το 2ο το πίσω, σε κάθε περίπτωση οι διαφορές θα είναι μικρές, κοινώς μην ασχολείσαι τόσο.
-
Didonis started following Μονώροφο VS Πολυώροφο
-
η ερώτηση αφορά παθητική πυροπροστασία ή και ενεργητική ?
-
Κώστας Κουρούνης started following Μονώροφο VS Πολυώροφο
-
Ας πούμε ότι έχουμε ένα κτίριο αποθήκευσης όπως αυτό στο 3D, στο οποίο τα δύο του επίπεδα δεν επικοινωνούν εσωτερικά μεταξύ τους (ούτε με κλιμακοστάσιο), όμως αλληλοκαλύπτονται σε κάποιο τμήμα τους. Σύμφωνα με την περιμετρική διαμόρφωση, το κάθε επίπεδο έχει τις δικές του ανεξάρτητες οδεύσεις διαφυγής κα αποτελείται από έναν μόνον όροφο ο οποίος είναι και ο όροφος εκκένωσης. Έχουμε δηλαδή δύο ισόγειους ορόφους εκκένωσης! (βάσει Π.Δ. 41/18Μονώροφο κτίριο: Κτίριο που αποτελείται από έναν μόνο υπέργειο όροφο, ο οποίος είναι ταυτόχρονα και ο όροφος εκκένωσης.) Τί θεωρείται από πλευράς πυροπροστασίας το κτίριο? Θα μπορούσαν να θεωρηθούν ως δύο ξεχωριστά μονώροφα κτίρια που θα μελετηθούν με δύο ξεχωριστές μελέτες ή αναγκαστικά ως ένα πολυώροφο? Έχει τύχει σε κάποιον κάτι αντίστοιχο και αν ναι πώς το έχει προσεγγίσει? Σας ευχαριστώ εκ των προτέρων
-
Faethon11 started following Διάνοιξη νέας πόρτας εισόδου σε διαμέρισμα and ΥΠΟΣΤΑΘΜΟΣ ΔΕΔΔΗΕ ΚΑΙ ΘΕΣΕΙΣ ΣΤΑΘΜΕΥΣΗΣ
-
ΥΠΟΣΤΑΘΜΟΣ ΔΕΔΔΗΕ ΚΑΙ ΘΕΣΕΙΣ ΣΤΑΘΜΕΥΣΗΣ
Faethon11 replied to OlgaSt's θέμα in ΝΟΚ (Νέος Οικοδομικός Κανονισμός)
Και εγώ αυτό ξέρω... μόνο διάδρομο κυκλοφορίας αυτοκινήτων... Σκέφτηκες να κάνεις το Υ/Σ εκτός υπογείου της οικοδομής? -
Διάνοιξη νέας πόρτας εισόδου σε διαμέρισμα
Faethon11 replied to hammel74's θέμα in Άδειες-Διαδικασίες
Το θέμα θα λυθεί όταν αποσαφηνισθεί, με βάση τον κανονισμό, αν οι τοίχοι που βλέπουν στο κλιμακοστάσιο και στον διάδρομο είναι κοινόχρηστοι/κοινόκτητοι. -
Πρόβλημα με περίφραξη σε οικόπεδο με κάθετες ιδιοκτησίες
SEKKARA replied to nikos kokkinis's θέμα in Θέματα Ιδιωτών
Αίτηση στο Σ.Α. για κατασκευή περίφραξης εσώτερα των ορίων του οικοπέδου για λόγους ασφάλειας. Οταν ολοκληρωθεί η περίφραξη του συνολικού οικοπέδου θα πρέπει να απομακρυνθεί -
Το κόκκινο είναι το κτίριο και θέλώ να υπολογίσω την σκίαση της (κάτω) μικρής πλευράς. Με κυνό είναι τα εμπόδια. SURV_KTIRIA-Model.pdf
-
@Skrats δεν καταλαβαίνω τι έχεις στείλει...το κόκκινο πχ. τι είναι;
-
Στέλνω ένα σκαρίφημα με κόκκινο είναι το κτίριο και με κυανό τα δύο εμπόδια. SURV_KTIRIA-Model.pdf
-
steliosastrakas joined the community
-
@Κώστας_τοποΚαλημέρα. Συγκεκριμένη απάντηση βάσει νόμου ή εγκυκλίου μην περιμένεις να βρεις, διότι δεν υπάρχει. Η μια άποψη αφορά την επιλογή α. Η άλλη ΄άποψη-πιο μαθηματική-λέει ότι αφού δεν διαθέτει χιλιοστά η αναλογούσα δόμηση είναι μηδέν (κλάσμα τείνει στο άπειρο) και έτσι έχεις κατηγορία 5. Προσωπικά, επιλέγω την (α).
-
Καλημέρα συνάδελφοι, Μία γενική ερώτηση. Αυθαίρετα (χωρίς χιλιοστά) σε κοινόχρηστο ακάλυπτο χώρο και σε δώμα για την τακτοποίηση τους, πως και με τι συγκρίνουμε για εύρεση Κατηγορίας; α) αυθαίρετη δόμηση/επιτρεπόμενα οικοπέδου-γηπέδου; β) αυθαίρετη δόμηση/επιτρεπόμενα οικοπέδου-γηπέδου*χιλιοστα; Ευχαριστώ!
-
@Skrats υποτίθεται λαμβάνεις υπόψη μόνο αυτό που επηρρεάζει, οπότε το φτιάχνεις γραφικά για να δεις ποιό είναι το εμπόδιο αυτό.
-
ElizaK joined the community
-
[ΠΑΡΑΡΤΗΜΑ Α - Ν. 4495/17]
Pavlos33 replied to karanus's θέμα in Ν. 4495/17 - Αντιμετώπιση Αυθαίρετης Δόμησης
Έχει γινει κατάτμηση. Γι' αυτό ρωτάει. -
Αυτό
-
[ΠΑΡΑΡΤΗΜΑ Α - Ν. 4495/17]
tetris replied to karanus's θέμα in Ν. 4495/17 - Αντιμετώπιση Αυθαίρετης Δόμησης
Αφού υπάρχει άδεια και το κτίριο καλύπτεται με τα σημερινά δεδομένα δόμησης, γιατι να βάλεις "χωρίς άδεια"?
